【令和 6年 6月26日(水)~令和 6年 6月28日(金)】

今年の梅雨入りは遅かったので、梅雨明けも遅れるのではと心配してましたが、座間味へ行く1周間程前に梅雨明けし、無事に行く事が出来ました。

タクシーで「とまりん」に到着後、いつもの「マ-ミヤかまぼこ」で弁当を購入していきました。

9時少し前にフェリー乗り場に着いて、搭乗時間を待って乗船となりました。

またいつものように早々と乗船して、船内で1時間出航を待ちました。
まだ6月とは言え、結構満席に近いくらいに席は埋まってました。

阿嘉島に到着すると、今日は快晴の天候で申し分ありませんでした。
いつものように歓声が「キャー!凄ーい!」と鳴り響いてました。

皆が阿嘉島で下船と乗船をしている時間帯は、私達のランチタイムです。
今日の弁当は、あまり肉々しくない魚の弁当を選んでみました。
お腹に丁度良い量の弁当で満足でした。

定刻ピッタリに、座間味港へ到着となりました。

テクテクと「サマーハウス游游」まで歩いて宿に到着すると、宿の奥さんが「帳簿に適当に書いといて」と紙とシャーペンを渡して、今日の部屋は一番奥の部屋との事で、帳簿は後で書く事にして、部屋まで帳簿を持って上がりました。

「古座間味ビーチ」行きのバスの時刻を、宿に行く前にチェックしてたので、急いでバス停へ歩いて向かい、チケットを購入してバスの到着を待ちました。

フェリーが到着してから、まだあまり時間が経っていなかったお陰か、バスに乗るお客さんは少なかったので余裕で乗れました。

このバスは「阿佐地区」経由のバスでしたが、バス停に着いても誰も乗って来ませんでした。

「古座間味ビーチ」に着いて、取り敢えず帰りのバスの時刻表の写真を撮っておきました。

今日も「古座間味ビーチ」のデッキからの景色は最高です。

6月とは言え結構お客さんは来ているようで、パラソルも本番の夏休みの半分くらいは たってました。

私達も、パラソルの列の最後辺りにテントを張りました。
今年Amazonで購入した、おNEWのテントです。
(前のと同じメーカー製ですが、少し進化したタイプになってます。)

海を見渡すと、まだ満潮の時間から少し経ったくらいの時間だったので、泳げる範囲も珊瑚の群生の半分くらいまで見れる辺りまで開放されてました。
さっそく海に飛び込むと、少し濁りは有りましたが、十分に水中を綺麗に見る事が出来ました。

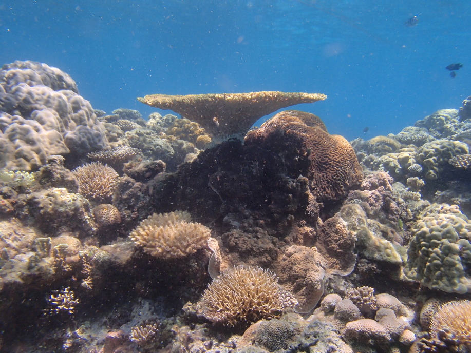
テーブル珊瑚を横から撮って見ました。
何処から見ても綺麗な光景です。

そろそろ海からあがるかと砂浜に戻って来てすぐに、珊瑚の上を泳げる時間は終了となりました。
早く泳いでおいて良かったー!

珊瑚の上辺りを泳いでいた人達も、皆端っこに移動するように指示されてました。
それでもしばらくは遊泳禁止区域で泳ごうとして、何名か注意されて左橋の方へ移動するよう戻されてました。

しばらくテントで休んだ後、珊瑚の群生の端っこに張られた、ロープの脇から潜って珊瑚の写真を撮ってました。

ロープのギリギリの場所でニモを撮って上へあがると、ブイの真下で潜っていたようで、ブイに頭をぶつけて痛かったです。

もう泳いでもあまり見る所もないので、ビーチ右奥の看板に何が書いて有るのか歩いて見に行って見ました。
「遊泳禁止」と、安室島への「横断禁止」の看板でした。

「安室島」との横断海峡まで、歩いて見に行って見ました。

干潮の時間だったので、「安室島」方面へ少し砂浜が伸びていて、もう少しで歩いて渡れそうなくらいでした。
でも船が行き来できるように、途中で深く掘られている場所があるので、泳いで渡ると とても危険だと思います。

古座間味ビーチ方面に、また歩いて戻って来ました。

そろそろ帰りのバスの時間が近くなって来たので、テントをたたんで帰る準備をしました。

デッキに戻ると、皆帰る人達がバス停の前に結構並んでました。

まだビーチで泳いでる人もいましたが、まばらでした。
帰りのバスは牛ぎゅう詰め状態でしたが、何とか全員乗り込んでました。
港で降りるのも、バス内が渋滞していて「降りまーす」の連発でした。
誰も降りそうも無かったので、私達も焦って「降ります」と叫んで見ましたが、バスを降りて見ると、ほぼ全員降りてました。

宿でシャワーを浴びて部屋で少し休んだ後に、「105ストアー」で今晩と明日の飲み物を買って来ました。

今日の晩御飯は「ラ・トゥーク」を予約してたんですが、オープンが18時半だったので、お腹を空かして店に向かいました。

オープン時間前に店の前に5人程お客さん達が並んでいたんですが、予約してなかったようで、ドアを開けてすぐ断られてました。
最近の座間味は、宿も夜の飲食店もすべて予約してないと取れません。

「ラ・トゥーク」は、今日はオーナーさんが居ないとの事で、簡易的な食事のみとの事でした。

取り敢えず「カンパーイ」。
美味かったー!

予約していない人達は断られてたんですが、オープン時間からしばらくしても席は大分空いているようでした。

お腹ペコペコで、料理が美味かったー!
「爆弾にんにく」は何個でも食べれそうでした。

予算を考えて、4品食べ終えると店を出て、あとは「こみね商店」で酒を買って来ました。

いつもの港の前のベンチに座ろうとベンチを見ると、誰かが荷物を置いているようだったんですが、近づいて良く見ると猫が寝ているだけでした。
さらにベンチに近づくと、猫は何処かへ居なくなったので、ベンチに座って飲み直しました。
今日はスタート時間が遅かったので、すぐに暗くなってました。
部屋に戻って、もう一杯飲んで就寝となりました。

翌朝2日目、朝食を頂きました。
丁度良いくらいの量で、美味しく頂けました。

午前9時半に、無人島渡しを「宮平」さんにお願いしてたので、船に乗っていきました。

今日も気持ち良い天気で快晴でした。

無人島に到着して、すぐにテントを設置しました。
宮平さんの話では、カラスが何でも持って行くそうで、サンオイルまでくわえて持って行ってしまうそうです。
その話を聞いて、念の為テントの外側の網のチャックを閉めて泳ぎに行く事にしました。

海に飛び込むと、少し濁りはありましたが、いつもの綺麗な珊瑚が広がる海でした。

沖の緑色の珊瑚の群生辺りは、満潮時刻ともあって水深が深く、あまり良く見えませんでした。

潜って近くから珊瑚の写真を撮ると、やっぱり綺麗でした。

下から潜って水面方向を撮ると、良い写真が撮れるような気がします。

テントへ戻る途中、魚群の群れが横切って行きました。

テントに戻ると、カヤックが島に上陸して来る時間帯でした。

「第三安清丸」の船頭さんも、牛ぎゅう詰めの人達を乗せて島に連れて来てました。

カヤックツアーの人達は、島に着いてすぐにシュノーケリングツアーに行ってしまいます。

昼時になったので、今日のランチを頂きました。
今日は「パーラーみなみ」で買ってきました。
宿の予約も聞いて見たんですが、8月は予約でいっぱいとの事で断られました。

食後は昼寝をして、まったりと過ごしました。
スマホで撮った写真を見ようとしたんですが、保存先のSDカードが認識しなくなりました。
仕方ないので、デジカメ中心に写真を撮る事にしました。

大分昼寝した後、また泳ぎに海に入りました。
潜ると珊瑚や魚が近くに見えて綺麗でした。

少し水深が浅くなったようで、珊瑚も見やすくなりました。

「第三安清丸」のおじさんは、乗せて来たお客さんのパラソルを、私達の目の前に建てて行きました。

体が冷えて少し寒くなって来たので島内を散歩すると、島の真ん中にくぼみが出来ていて水たまりになってました。
水たまりなのに綺麗な色をしてました。

島の上に登って見ました。
島の奥側へ行く道が、最近誰も歩いていないようで、トゲトゲの草が伸び切っていて、とても歩けなかったので、すぐに降りて来ました。

午後3時過ぎになり、帰りのフェリーが出航して行きました。
私達は「安慶名敷島」の先端から、フェリーが帰っていくのを見てました。

最後にもう1本泳ぎました。

干潮の時間帯で流れが強く、岩場を少し歩いて行った先から入って、流されながら珊瑚を見ていったんですが、水深がかなり浅く、珊瑚が大分近くに見えました。
流れは強かったけど、珊瑚の見え具合はかなり良かったと思います。

泳ぎ出してすぐに砂浜に到着しました。

今日の迎えの時間は16時半だったんですが、あっと言う間に時間となり、テントを片付けて待ってました。

船に乗船して島を離れました。

宿でシャワーを浴びて、あっと言う間に夕食の時間が来ました。
今日は、久しぶりに「まるみや」の予約が取れました。
オープン時間の18時になるまで、シャッターは閉めているようでした。

店内に入ると、以前は手書きで黒板に今日のお勧めが書かれていたんですが、印刷で壁に貼られていたので、もう定番料理になったんだと思います。

「若鳥辛子マヨネーズ」は、よく頼むんですが、間違いない旨さです。

「豚しゃぶサラダ」も満足の料理でした。
昨日の「ラ・トゥーク」より、やっぱり盛りが良いので大満足で帰れます。

今日も、夜の酒と明日の飲料水を「105ストアー」で買って帰りました。

港のベンチで今晩も一杯飲んで、部屋で飲み直し、気を失って就寝しました。

3日目の朝食を頂きました。
今回一度も納豆が出ないので、私的には満足の朝食です。

食後に、昨日からうちの奥さんが開拓した、役場のトイレが綺麗で使い安いとの事だったので、私も真似をして行って見る事にしました。
確かにウォシュレット付きで、宿のトイレと比べると綺麗でした。

昼食の買い出しは「105ストア」へ行ってみると、「パーラーみなみ」で売ってる予約注文専用の弁当を販売してました。
ちなみに「パーラーみなみ」では、前日までの予約で400円だったんですが、「105ストア」では430円で販売されてました。

部屋に戻って荷物をまとめて、宿の玄関口に荷物を置いて、港へ向かいました。

今日も9時半に出航して「安慶名敷島」へと向かいました。

島が見えて来ると、もうすでに結構上陸している人達がいるようでした。

何とか昨日テントを建てた場所はあいていたので、同じ場所にテントを張る事が出来ました。

今日も珊瑚が綺麗でしたが、やっぱり少し濁りが残ってました。

でも潜ると濁りは見えなく、綺麗でした。
しばらく海岸沿いを泳いで進んで行くと、カメラのモニターが見えてない事に気づきました。
すぐに海岸に上がって見たんですが、ボタンを何回か押しているうちに、点いたり消えたりを繰り返してました。
再度ボタンを繰り返し押していると、カメラが動かなくなりました。

テントに戻って来てカメラを見たんですが壊れているようで、バッテリーを外すと、バッテリー液が漏れていました。
完全に壊れてしまいました。

取り敢えず昼の時間になったので、買って来たランチを頂きました。

少し海にも入ったんですが、カメラも無いので手持無沙汰でした。
昼時には、朝から上陸してたお客さん達も、だいぶ港へ帰って行きました。

午後はどんよりとした雲が広がってきて、遠くの方で雷の音も聞こえていました。

そのうち雨も降り出して来て、テントの後ろ側のチャックを閉めて、雨をしのぎました。

その後は、大体同じ感じの曇り空だったんですが、少しだけ晴れている時に海に入りました。
カメラが壊れたので画像は無いですけどね!

お迎えの時間15時半が近づいて来たので、テントを片づけて待ちました。

皆同じ時間帯に帰るようで、一斉にテントをしまってました。

お迎えが来て船に乗り込んだんですが、あと1組残っている人達に宮平さんが「これから雨雲が来るんで、テントをしまうのを待ちますので、片づけて乗って下さい。」と言い乗船させました。

港に戻る頃に後ろを振り向くと、島に雨が降っているようでした。

宿に戻って着替えを済ませていると、また雨雲が近づいて来ているようだったので、船着き場へ急ぎました。

船の乗船場所で、早々と1時間前からベンチに座って待って船に乗って帰りました。
次回、また2週間後に行きます。
↓水中動画をまたデジカメで撮って来ました。
安慶名敷島:動画
安慶名敷島稚魚の群れ:動画
|