【令和 5年 9月22日(金)~令和 5年 9月23日(土)】

最後の有給休暇を使って、1泊2日で座間味へ行って来ました。
今朝、朝方に結構な量の雨が降っていたので、ちょっと気分が暗めだったんですが、家を出る時には少し晴れ間も出るくらいの天候で、何とか行けそうになってました。
タクシーに乗って、高速船乗り場まで向かいました。

乗船が始まる頃に列に並んで船に乗り込むと、まだ窓際の席は空いていたので、エアコンの吹き出し口が当たらない席を取って座りました。
前回、高速船に乗った時は、エアコンの風が冷たくて大分辛かったんですが、今回は丁度良いくらいの温度で助かりました。

朝10前には座間味島に到着しました。
港で宮平さんを見つけて、11時出発で渡し船を予約し、宿「サマーハウス遊遊」へ歩いて行きました。
宿に着いて女将さんと話すと、いつもフェリーで来るので12時過ぎに到着すると思っていたらしく、まだ部屋の用意が出来ていないとの事で、荷物だけ入口に置いて、また港へと戻りました。

バス停の待合室から港を見ていると、宮平さんの船が戻って来たので、約束の時間よりは早かったんですが、乗せてもらいました。

午前10時半には安慶名敷島に到着したので、宿泊して来た時とあんまり変わらない位の時間に無人島に来れました。

いつものように着いてすぐにテントを設置し始めたんですが、8月の台風の影響か、地形が変わっているようで、ペグが何処にも刺さらないので、仕方なく大分斜めに刺して、うちの奥さんにペグの上に石を置いてテントが飛ばないようにしておくよう依頼しました。
汗だくでテントの設置を終えて見ると、うちの奥さんが置いた石の大きさが半端じゃなく笑ってしまう程でした。

今日も辛抱たまらず、すぐに海に飛び込みました。
水温も丁度良く、最高の気分でした。

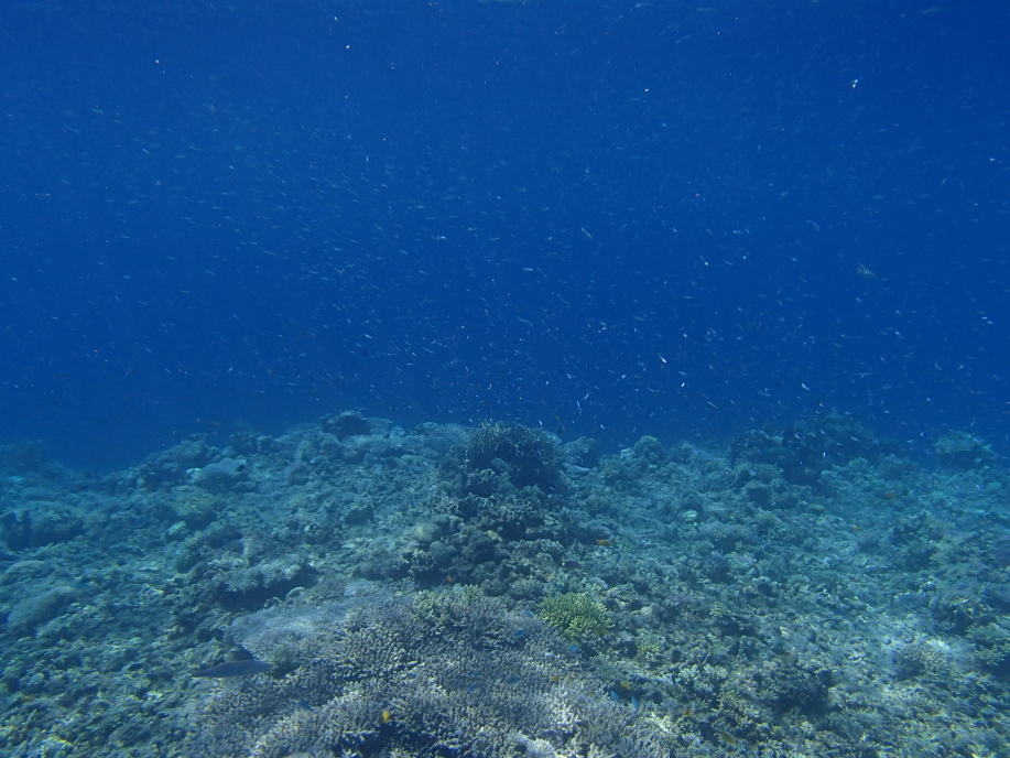
一番沖側に有る正面のブイまで泳いで、緑色の珊瑚の群生辺りを見ると、まだ朝だったからか、透明度も良く潮も浅かったので、綺麗に見れました。

ただ、前回8月に泳いだ時から耳抜きが上手くいかず、頭がガンガンするのが気になっていたので、今回も恐る恐る潜って見ると、やっぱり耳抜きが上手く出来なくて、頭が痛くなっていました。

どうしても気になるので、次の珊瑚の群生の場所で再度潜って見ると、今度は耳抜きできました。

年のせいか?耳抜きのタイミングを間違えていたようで、やっと感が戻り、後はガンガンに潜れました。
やっぱり珊瑚の下方向から写す写真が、一番きれいな気がします。

今回は島の周りを左方面へ、行ける所まで行って見ようと泳いで行くと、大きな岩が2つに割れていて、そこに珊瑚の群生や魚達が群がっていました。
ダイビング船らしき船に乗って、ツアーで来ている人達が、この岩の廻りに群がっていました。

知らなかったー!
ここのブイまでは結構遠くて、島の反対側へと曲り始めるくらいの場所なので、ちょっと怖くて来て居なかったんですが、ここは綺麗でした。

取り敢えず人が一杯居て、テントまでも遠かったので、一旦戻る事にしました。
結構1時間以上泳いでました。

疲れて浜辺まで戻って来ました。

カヌーやSUPのツアーのお客さん達も結構たくさん上陸してました。

今日の昼ご飯は、今朝「小峰商店」で買って来た、サンドイッチとマギーおにぎりです。
美味かったー!
満腹で昼寝タイムとなりました。

ただ、テントの下の岩盤が硬く、寝心地が悪かったので、しばらく寝てたんですが、痛くて起きてしまいました。
うちの奥さんは、やたらと眠いらしく、私一人で1本泳ぎに行く事にしました。

沖の方へ泳いで行くと、無数の稚魚の群れがいて、濁っているのか魚が多過ぎるのかが分からない程でした。

でも、さっき潜るコツを思い出したので、快調に潜れて良い写真が撮れました。

少し泳いで、またテントに戻って来た後は、またしばらく昼寝をして過しました。
本来は、この時間が好きで毎回来ているんですが、今日はどうも背中や腰の辺りが痛くて、あまり熟睡できませんでした。

やっと午後2時過ぎ頃に、うちの奥さんも泳ぐと言うので海に入ると、結構流れが出始めていたので、すぐに一旦上がって、島の左側方向から歩いて行き、泳ぐ事にしました。
いつも目印にしていた、泳ぎ始めの辺りに立っていた大木が、8月の台風で折れたようで、他の草の形などを思い出して海に入ってみると、いつも入り始める場所とピッタリでした。
いつも見るテーブル珊瑚が有りました。

ただ、水に入って見ると、思っていた海流の流れと逆方向だったので、かなり一生懸命泳いで元のテントの場所へ戻る事になりました。

珊瑚は綺麗に見れたんですが、泳ぎは全速力でした。

疲れました。
やっと戻って来れました。
どうやら、テント前辺りは右方向に流れていたんですが、少しすると左側に行った辺りから、左右に海流が変わっていたようで、目測をあやまりました。

もう午後4時前とお迎えの時間も近かったので、ビーチを少し散策してました。

4時15分にはテントもしまい、帰りの船を待ちました。

そうこうしているうちに宮平さんの迎えの船がやって来て、港へと戻って行きました。
やっぱり夕方近くになると、若干寒く感じて来てました。

港へ着いて、明日の送迎時間を宮平さんに告げて船を降りたんですが、テントを船で預かってくれるとの事で、船に置いて行きました。
テントが無いと軽い!

宿でシャワーを浴びて、洗濯も済ませて部屋で待っていると、今日の夕食6時半が近づいて来たので、今日の夜は久しぶりの「レストラン ラトゥーク」へと向かいました。

だいぶ4・5年くらいは来て居なかったと思います。

メニューも若干変わっていたようですが、4品を選んで注文し乾杯となりました。
相変わらず美味かったー!

1時間程飲むと、始まりに時間が遅かったので、外は真っ暗になってました。
帰りに「105ストアー」で、2杯目のお酒とつまみ類に、明日の飲み物などを買って帰りました。
部屋で飲んでいたんですが、知らないうちに気を失って寝ていました。

なので、起きると翌日の朝食になってました。
季節がらなのか、宿泊しているお客さん達が、すっかり観光客より職人さん達多くなっていて、最初にここに泊り始めた頃を思い出しました。
朝食の納豆が復活してました。
私は二日酔い気味だったので、納豆は残しました。

食後にすぐ小峰商店で昼ご飯を買いに行って来ました。

朝9時半前頃に港へと向かいました。
宮平さんの船が来ていたので乗り込むと、今日は満席のようでした。

安慶名敷島へ到着すると、今日は快晴で申し分無い天気でした。

テント下も相変わらず硬い岩盤だったんですが、無事に設置を終えました。
うちの奥さんも、昨日よりは少し小さめの石をペグの上にのせてました。

まだ干潮時間に近かったのか、今朝は一段と珊瑚が綺麗に見えました。

緑色の珊瑚の群生辺りも綺麗に見えました。

うちの奥さんも稚魚達と一緒に浮遊してました。

今日も潜って見たんですが、全く問題無く潜れていました。

一旦テントまで戻って来ました。

今朝もSUPツアーは繁盛しているようでした。

少しテントで休んだ後、また昨日行った左側奥のブイ近くの岩場へと泳いで向かいました。

やっぱり、ここは綺麗です。
岩場の廻りをグルグル廻って動画を撮ってました。

この辺りは水質も良くて透明度が高いので、一段と珊瑚が綺麗に見えます。

満足してビーチへ戻って来ました。

朝一より さらにSUPツアーのお客さん達が増えてました。

昼の時間になり、ランチタイムとなりました。
今日のランチは、小峰商店にご飯類しか置いてなかったので、おにぎり・おにぎり になりました。
でも美味かったー!

食後は爆睡し、テントの下が硬くても、ぐっすり寝れました。

今日は、やたらと外人さん達が多くて、周りでは日本語以外の言葉が飛び交ってました。

ひと眠りした後は、またまた左奥の岩の方へと泳いで行きました。
すっかりお気に入りになってます。

メインは大きい岩が両脇に2つ有り、その真ん中をギリギリ泳げる位の隙間有るので、潜って写真を撮って見ました。
良い感じの写真です。
ただ、上にあがる時に、岩に体をぶつけないように気を付けないとケガすると思います。

2つの岩の他にも、いくつか岩や珊瑚が点在していて、とても見甲斐が有る場所だと思います。

いざテントに戻ろうと泳ぎ出して見ると、かなり左方向に海流が流れていて、少し頑張っては見たんですが、近くの岩場から登って歩いて戻る事にしました。

30分くらいテントで休んで、2時半頃に最後にもう1本だけ少し泳ぐ事にして海に入りました。

沖の緑色の珊瑚の群生辺りまで行くと、「GoPro」を持った娘達が潜ってました。
この娘達は、頭ガーンとかならないんだろうなー?!(耳抜き出来なくて)

再度テントに戻ると、暗い雨雲が近づいて来てました。

ただ、港方向を見ると、まだ晴れていました。

また10分前行動でテントを片づけました。
帰宅準備完了!

午後3時半に迎えの船が到着し、無人島を離れました。

港へ到着し、宿へと戻って行きました。

シャワーと着替えを済ませたんですが、他の帰宅待ちのお客さん達も食堂にいたので、早目の時間だったんですが、船着き場へ向かいました。

待合室に入ると、歯磨きするのを忘れていたのを思い出し、トイレで歯磨きして来ました。
あまり待合室が涼しくも無かったので、1番乗りで乗船待ちに並びました。
最後尾と真ん中に2ヶ所乗船する場所が有り、それぞれ4人分の座る席があったので、待ち時間も苦痛ではありませんでした。
むしろ風が心地良くて良かったです。

午後5時20分発の高速船が入港して来たんですが、入場チケットを読み込む係の人が、私達のチケットを読み込んだ後「そのまま待ってて下さい」と言い残して、乗船者全員分のチケットを読み込み始め、そうこうしているうちに真ん中の乗船場所から入場が開始されたので、私達はさっきの停止を無視して船に乗り込みました。
危なかったー!黙って言う事を聞いて待っていたら席が無くなるところでした。
帰りも窓際の席に座ったんですが、今回は冷房の風がまともに当たる場所で、凍えて帰る事となりました。
次回からは、長袖を持って来ないと!
と言う訳で今年の座間味島ツアーも終了となりました。
来年も懲りずに「安慶名敷島」へ行くと思います。
↓水中動画をまたデジカメで撮って来ました。
安慶名敷島:稚魚の群れ
安慶名敷島海岸:岩廻りの珊瑚
|