【令和 3年10月 2日(土)】

7月以来やっと2回目の慶良間諸島、たぶん今年最後になるだろうと思われる渡嘉敷島へ日帰りで行って来ました。

10月になり、やっと緊急事態宣言が解除となったので、「とまりん」にも大勢のお客さん達が来ているかと思いきや、チケット売り場は空いてました。

チケットを購入して徒歩で「マリンライナー渡嘉敷」が出る高速船乗り場まで、テクテクと歩いて行きました。
さすがに10月ともあってか、かぜが心地良くさわやかに歩いて到着出来ました。

乗船して見ると、まあまあの人数くらいのお客さんが乗っていました。
ただ今日は少し波があったので、多少船が揺れました。
でも40分なので、あっと言う間の到着でした。

港に着くと、今日日帰りツアーで申込んでいた「シーフレンド」の送迎バスの姿が確認出来ました。

バスに乗り込んで宿へ行く途中、「とかしくビーチ」が見えました。
上からの眺めは、いつ見ても景色最高のビーチです。

今日宿泊するお客さん達は宿の前で降ろされ、日帰りツアーは更衣室前で降ろされるんですが、日帰りツアーは私達2人だけでした。
やったー!
貸し切り、使い放題!
でも少し泊まりたかったかなー。

ロッカーとレンタルショップは更衣室のすぐ裏側に設置されているので、裏側のショップの方へ行って見ると、着いた時にツアー内容を案内をしてくれたお兄さんが、レンタルショップの受付になっていました。
まあ人では足りないので仕方無いと言う事でしょう。

私達は荷物をロッカーに預けて、今日のランチを買い付けに「新垣商店」へと向かいました。
朝10時半頃になっていたので、もしかすると食料も残っていないかなーと思っていたんですが、美味しそうな「カツサンド」と「みそおにぎり」が残ってました。

食料を買い終えてビーチ前の「マリンハウスあはれん」のレンタルショップへ行き、無人島への送迎をお願いしたんですが、送迎金額が1,100円/人から1,500円/人に値上がりしていました。
おまけに、今年から無人島へ行く人はライフジャケット(500円/人)も必要になったと言われ、手持ちのお金を確認すると、2人で1,000円足りなく、後で払う約束をして何とか送迎してもらいました。
ライフジャケットなんか使わないのに余計な出費がかかる事になってしまい、かなり残念です。

ビーチへ着くと、毎年送迎してもらっているお兄さんが見えました。

今日は少し波が高かったので、送迎中も水しぶきを顔にバシャバシャと浴びていました。

到着して砂浜に上がると、岩がゴツゴツと出ていて、テントを張る場所がかなり限られていました。

何とかテントは張り終えたんですが、今日は風が非常に強くて、ご覧の有様です。
テントの中に座っていると、砂がシャーシャーとテントの側面に飛んで来ている音がして、結構大変な状態でした。
うちの奥さんが座る方向から風が吹いて来るので、だいぶ頭をテントに押されて不快との事でした。

取り敢えず海に入る事にしました。
海の中は水温が夏のままなのか、丁度良い水温で快適に泳げました。

今日は風も有り波も少しあったので、水中もやっぱり少し濁っていました。

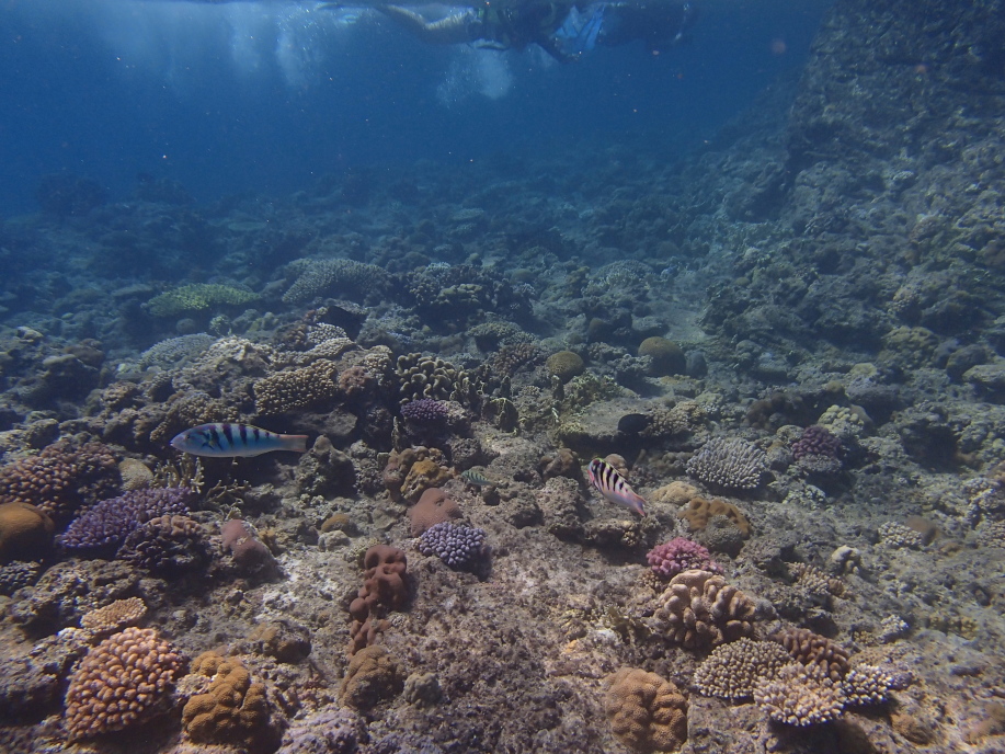
でも潜ると綺麗な珊瑚を見る事が出来て満足でした。

砂地の中で「アバサー(フグ)」がクッキリと見えました。

海岸へ戻る途中、岩場の下辺りに洞窟状態の場所があったので潜って撮って見たんですが、「青の洞窟」みたいな写真は撮れませんでした。

浅瀬の珊瑚は潜って撮ると、より太陽光が反射して綺麗に見えました。

テントへ戻って来て、少し早めの昼食を食べ終え、少し休んでいようとしたんですが、濡れた水着に風があたると寒くて、おまけにテントの中にも砂が降って来ていて、いつものようにあまり昼寝もできませんでした。

寒さの限界となり、再度海の中に入る事にしました。
海の中は、うそのように温かく、こっちの方が過し安かったです。

沖の方ではダイバーの姿が見えました。

しばらく泳いでいると、指がふやけてきたので、また仕方なく海岸へ戻る事にしました。

テントへ戻ると、また濡れた水着が寒くて、テントに入らず岩場で水着を乾かしていました。

じっとしているより散歩しながら乾かそうと、ビーチの端まで歩いて行きました。
今度は新しく買ったばかりのビーチサンダルに砂が挟まって、足の皮がむけて血がうっすらと出ていました。
もうどうすれば良いのか判りません!

それでも何とか水着も乾いて過ごしやすくなって来たので、岩場でしばらく涼んでいました。

何とか迎えの時間午後3時になり、送迎のバナナボートが迎えに来ました。
バナナボートに乗り込む前に、送迎の係の人に「ビーチに戻ったら、1,000円支払いお願いします。」と念をおされました。

あっと言う間に「阿波連ビーチ」に到着となりました。
レンタルショップにライフジャケットを返した後「シーフレンド」へ戻り、1,000円を握り締めて、またレンタルショップへ返しに行って来ました。
!
2往復して戻って来てシャワーを浴び、帰り支度を済ませました。
そうこうしているうちに帰りの送迎バスが到着しました。
やっぱり帰りも私達2人だけの貸し切りバスでした。

島に来ている人達全体が、日帰りのお客さんが少ないようで、港も少な目でした。

17時出航の帰りの船に乗り、あっと言う間に「とまりん」に到着しました。
ライフジャケットをレンタルするのは嫌なので、来年は自分で膨らませて持って行けるような携帯タイプのライフジャケットをNETで探して行こうと思います。
ではまた来年をお楽しみに!!!
↓水中動画をまたデジカメで撮って来ました。
パナリ島:動画
|