【平成28年 7月13日(水)~平成28年 7月15日(金)】

今週も3週間連続でケラマ諸島に行く事が出来ました。
今回も行く直前になって、波が3から4mと高い日が続いていたので、1日づらして行く事にしました。
なので、せっかく2ヶ月も前から予約していた帰りの高速船には乗れず、往復フェリーになってしまいました。
ここ数日高波が続いて、船が出ない日もあってか?久しぶりに通常通りの運航となった今日は、船が大混雑でした。
「とまりん」への到着が遅れた事もあって、船の座席が初めて隣同士で座れず、空いている席に何とか座れたくらいでした。

座間味に到着後、いつもの宿「サマーハウス游游」にチェックインを済ませ、古座間味ビーチへ送迎のバスに乗ろうと、急いで港へ行ったんですが、時刻表を30分程間違えてしまい、しばし休憩となりました。
っで、やっと乗ったバスも、日に数本しかない「阿佐集落」行きのバスで、めったに行かない遠回りをして、ビーチに到着となりました。
(あまり見ない景色だったんで、少し新鮮でした。)

ビーチに到着すると、空は快晴でした。

来る度にパラソルの列が伸びている気がします。
なので、私達はテントを建てる場所まで大分歩くことになります。

1日づらしたんですが、この日もやっぱり波が高めで、海の中も少し濁りがありましたが、でも十分満足できるくらいでした。
私達の後ろの辺りに居た2人組の女性達の話声が聞こえたんですが、「頑張って船に乗って来て見たけど、魚の数が凄くて正解だったねー。でも泊まるのは無理!もうバスの時間まで10分切ったよ!」と言って急いで帰ってました。

私達も、午後4時頃まで泳いで、宿に帰りました。

夜は、今日は「まるみや」がお休みの日なので、「ラトゥーク」を予約してました。
最近は予約してもカウンターしか取れず、テーブル席には大人数じゃないと座れません。

いつも頼まないメニューにして見ました。
どれも美味しかったです。
今回も、食後は「105ストアー」でお酒を買って、港で日が暮れるまで二次会となりました。

2日目。
毎回、2日酔い気味で朝ご飯が喉を通らないので、今回はご飯を少しだけにし、納豆も食べないようにしたら、何とか食べきれました。
今まであまり気づいてなかったけど、私は納豆があまり得意じゃないようです。
食べる時は食べるんですけどね!

食後、早々に「こみね商店」に昼飯と飲み物を買い込みに行きました。
最近は「105ストアー」のおにぎりが、店頭に並ぶ時間が判らないのと、工事現場の職人さんとの争奪戦になりがちなので、空いている「こみね商店」に行くようになってます。
最近は、この店も職人さんが早く来た時は、在庫が際どい状態になってますけどね。

朝9時半頃に港に向かうと、いつも頼んでいる宮平さんの無人島渡しの船に乗り込もうとしているお客さんが居たので、乗り込むのに時間がかかるので間に合うだろうと歩いていたら、船が出航し始めたので、急いで行って手を振ると、宮平さんが気づいてくれて、岸まで戻って来てくれました。
危なかったー!
島に到着すると、すでに先客が上陸していて、無人島では有りませんでしたけど、やっぱり最高です。

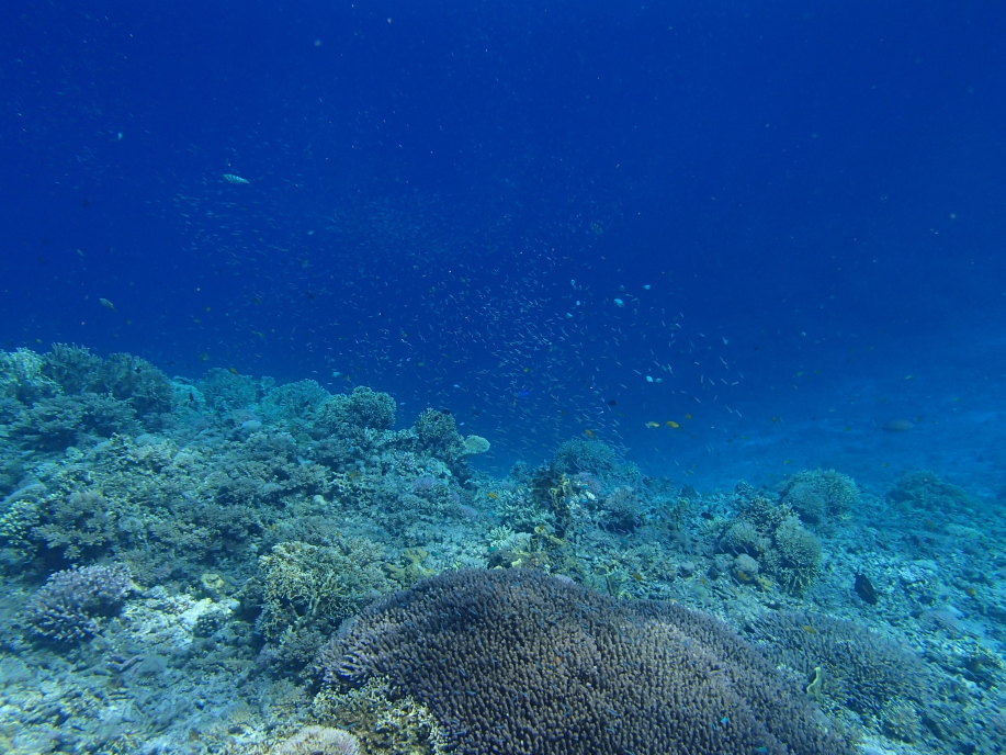
朝一に海に入ると、波は有りましたが透明度は抜群でした。

最近気に入っている、ブイの近くの珊瑚の群生がある場所に、一目散で泳いで行きました。
魚の数が凄い!の一言です。
ここに居ると、しばらく動きたくなくなります。

さらに潜って下から見上げると、すばらしい光景です。

何本か泳いでいるうちに、もう1つのブイの有る場所にも行ったんですが、やっぱり少し深い場所に珊瑚がある為か、暗い色で少し怖かったです。
でも珊瑚が密集しているので、魚も大量に居ます。

午後になると、さらに波が高くなって来て、普通に泳いでいても、シュノーケルの上から水が何度か入ってきてました。
私達が使っているシュノーケルは、直接上から水が入らないようになっているタイプなので、少し水が入っただけで、すぐに口から息を吹いて水は飛ばせたんですが、筒状のタイプのシュノーケルだと水を飲んでたかもしれません。
最後は、島の少し奥の方まで歩いて行って、波に流されながらテントまで戻って来ました。
波に逆らって泳ぐのは疲れるので。

あっという間に、お迎えの午後4時になりました。
少し前に、それまで島に居た他の人達が帰って行って、本当の無人島状態になったんですが、その後3時前に来た人達はもっと遅くまで居たので、無人島の時間は少しだけでした。

今晩は、あえてどこの店にも予約を入れず、新しい店を開拓する事にしました。
午後6時過ぎ頃に「ななまる」と言う居酒屋さんに入って見ました。

意外にも、1組もお客さんは入ってませんでした。
メニューもオーソドックスでしたが、こ洒落た良い感じのお店でした。

本日のお勧めの「揚げ出し豆腐」が絶品でした。
旨かったー!

本日も、食後は恒例の「105スーパー」で買ったお酒を持って、港でカンパイでした。

最終日3日目も「安慶名敷島」に行く事にしました。
宿のお父さんに「また島に行くの?好きだねー!」と言われてました。

今日は、1番乗りで無人島上陸できました。
(まあ、すぐに次のお客さんが来たんですけどね!)

やっぱり今日も透明度の良い朝一で、いつものブイの下の珊瑚を見に行かないと!

綺麗!
今日は波も少な目で、朝一で透明度も申し分無しでした。
ただ、少し潮の流れが強めで、同じ場所に留まっているのが大変でした。

何回か潜って見ました。

今日は、早目の午後2時のお迎えを頼んでいたので、あっと言う間でした。

宿に戻ってシャワーを浴び、水着やシュノーケルもしばらく干して行きました。
船の時間までまだ早かったので、宿のお母さんと話していると、ウォシュレットの設置の事が気になったので聞いて見ました。
お父さんが、自分で取付したのか尋ねると、意外な話の方向になりました。
そもそも、ウォシュレット自体、宿で買ったのでは無く、常連のお客さんが前から気になっていたので、自分で購入して取付けておいてと送って来たそうです。
凄い!
でもおかげで私も助かってます。

そろそ帰る時間になり、そそくさとフェリー乗り場へ向かい乗船となりました。
次回は1ヶ月程先ですが、また行きます。
今年は何回行けるんだろう!
↓水中動画をまたデジカメで撮って来ました。
古座間味ビーチ:動画
安慶名敷:動画
|