【平成25年 9月11日(水)〜平成25年 9月13日(金)】

多分、今年最後になるだろうと思われる座間味島ツアーへ行って来ました。
さすがに9月に入ると船も空いていて、子供連れの割合も極端に減って、フェリーの中はアダルトな感じになってました。

うつらうつらと眠っていると阿嘉島に到着し、私達の弁当昼食タイムとなりました。
食後に座間味島到着となったんですが、フェリーから降りる人の少ない事!
何となく夏が終ったな〜っという感じでした。

今回も、前回と同じ宿「みやむら」に宿泊しました。
なかなか「サマーハウス遊遊」が取れなくて、去年・今年と2年間も泊まれてません。

部屋で着替えを済ませたら、すぐに港へ向かい送迎バスに乗り込んだんですが、このバスは、まず「阿真ビーチ」へ行ってからまた港へ戻り、そこから「古座間味ビーチ」へ向かうルートでした。
ただ、運転手さんが知り合いだったので、気を使ってくれて「このまま乗ってて良いよ」と言うので、暑い外で待つ事も無く、しばらくバスで涼む事ができました。

今年は何度来たか?覚えてませんが、また「古座間味ビーチ」へやって来ました。

テントも設置完了。

早速、海に飛び込むと、泳ぐ人が減ったせいか?透明度も良く、良い感じでした。

最近私も、うちの奥さんも、素もぐりにはまっていて、何回も潜る練習ばかりしてました。

午後4時25分のバスに乗って港まで戻り、宿でシャワーを浴びました。
私達夫婦は暗黙の了解で、いつも最初に私がシャワーを浴びて、次に奥さんがシャワーを浴びている時に、私が洗濯をするというルールになっています。

今夜の夕食は「まるみ屋」が定休日なので、宿と同じ経営の「ラトゥーク」へ行きました。
とにかく喉が渇いて、まず一杯飲んで、食べて。
あっ!
気がつくと、いつも食べてる途中の写真しか有りません!
(写真がまずそう。)
食後「105スーパー」で1杯だけ中ハイを買って帰り部屋で飲んだら、すぐに眠くなり9時前には寝てしまいました。

あっという間に翌朝になり、昨晩と同じ「ラトゥーク」で朝食を頂きました。
昨日あまり飲まずに早く寝たお陰か体調も万全で、朝食も美味しく頂きました。

今日は、いよいよ今回のメイン「シーカヤック」の時間となり、ツアーを申込んでた「ネイチャーランド カヤックス」へ行って、車でスタート地点の阿真ビーチへ向かいました。
海のコンディションも良く、全く波も無さそうでした。

まず最初にガイドさんが「阿真ビーチの亀を見て行きましょう」と言うので、ちょっと泳いで見ると、すぐその辺りに亀が2匹もいました。
人に馴れているらしく、ゆっくり近づけば逃げないそうです。

海から上がるとビーチの端の方に人が集まっていたので見に行くと、でっかいウミウシが居ました。
普通は1〜2cmくらいの大きさらしいんですが、これは30cmくらいありました。
巨大で、島の人達も驚いてました。
ちょっと触らせてもらったんですが何とも不思議な感触で、全く触っているのか?判らないくらいの「感触が無い」と言う表現が、あっているような気がする生物でした。

いよいよシーカヤックツアーのスタートとなりました。
今回のツアーの参加者は、何と!2人だけでした。
とにかく2人共初めてなので、言われたとおりにやって見たんですが、全く思うように進まず蛇行運転ばかりで、凄く無駄な労力を使っているようでした。

ちょいちょいガイドさんが先の方で待っててくれてました。
一応、今回行きたい場所が有るか?を聞かれたんですが、いつも「安慶名敷島」によく行っているという話をしたお陰で、ガイドさんも行った事の無い所へ連れてってあげようと行き先を選んでくれてました。

最初に上陸したのが、安慶名敷島の裏に有る「小安慶名敷」と言う島でした。
小さな島だったんですが初めて行く所なので、わくわくしました。

すぐ目の前に「安慶名敷島」が見えてましたが、絶対にここには自分達では来ないだろうと思うので、今回ツアーに参加して良かったです!

島の岩場の間からシュノーケリングが始まりました。
海に入って早々、小魚の大群が居ました。
大群も今までに見た数とは比べ物にならない位の数で、魚に取り囲まれている感じで感動でした。

島の周りをぐるっと廻って行ったんですが、何処と無く古代遺跡でも有るんじゃないかと思うような海底が見えてました。

珊瑚もかなり密集していて、船で連れてってもらう無人島とは比べ物にならない位居ました。

最後は安慶名敷島との間の中間くらいまで行って島へ戻って来たんですが、かなり水深も浅く、後で聞くと、干潮の時は安慶名敷島から歩いて渡れるくらいに浅いそうです。
でも来て良かった〜!

一泳ぎした後、またカヤックで別の島へ出発しました。
漕ぐのに慣れないせいか?少し親指の付け根が痛くなっていました。
でも舵取りは少しづつ慣れて来て、あまり蛇行しなくなってきました。

次に到着したのは「嘉比島」の裏側にあるビーチでした。
無人島渡しの船で頼んでも、このビーチには来れません。
ビーチの先の岩場の上の方に灯台が有り、ガイドさんが昼食の用意をする間、灯台まで散歩に行って見たらどうかと言われたので行く事にしました。

ビーチから上り始めた時は、かなりの道のりそうなので、30分では行って戻って来れなさそうと思っていたら、少し登った辺りからコンクリートで舗装されていて、すいすいと登って行けました。
なるほど!
だから、ガイドさんが「ゆっくりで良いですよ」と言ってたのが解りました。

正直言うと、上まで登っても大した景色では無いだろうと高をくくってたんですが、いざ登って景色を眺めると絶景でした。

ゆっくりと休んだ後、そろそろ戻った頃には食事も出来ているだろうと降りて行きました。

ランチは、まさかこんな無人島でスパゲッティを作ってもらってました。
なんだろう!この贅沢な感じ!
旨かったー!

食後に「洞窟の先の砂浜でヨガマットを敷いて寝ると気持ち良いですよ。」と言われ、言うとおりに試して見ると、最高の寝心地で、すっかりイビキまでかいてました。

起きて、ふと空を見上げた景色です。
何だろう?!この満足感!
もちろん、ガイドさん付きなので心地良いんですが、もし2人切りならちょっと怖いかも?!

昼寝から覚めてガイドさんを探すと、後ろの岩場でお休み中だったので一泳ぎする事にしました。
かなり遠浅が続いていたんですが、急に深くなった辺りから珊瑚が広がっていました。
ここにも小魚の群れが泳ぎまわっていました。

この魚よく他のビーチでも見かけるんですが、サイズが巨大でビックリでした。
思わず追いかけてしまいました。

ビーチを見ると、ガイドさんが出かける準備をしているのが見えたので、戻ってカヤックに乗船となりました。
このビーチも楽しかったー!

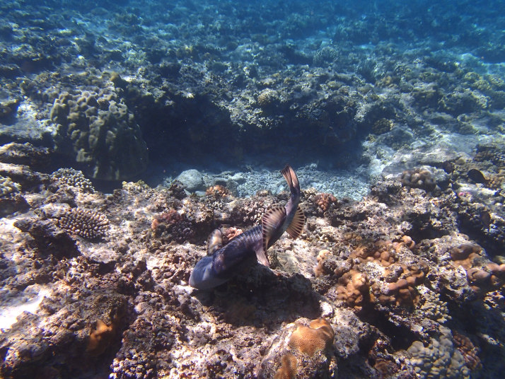
最後に行ったのは、座間味島本島の港から阿真ビーチへ行く途中の海岸に着きました。
何だー!最後はちょっとお手頃な場所なんだなーとか思ってたんですが、この辺りは遊泳禁止でガイドさんとしか泳いではいけない場所らしく、泳いで見ると広大な珊瑚の群生が広がっていました。
(この写真はガイドさんが撮ってものです。)

阿波連ビーチでは、よく見かける枝珊瑚なんですが、座間味島にもこんなところに一杯居ました。

海亀もまた居ました。

これはガイドさんです。
こーやって写真を撮ってくれてました。
(何とな〜くお気づきでしょうが、この海岸の写真のほとんどは、ガイドさんが撮った写真を使わせて頂いてます。)

やっぱり写真のタッチが全然違うんですよねー。

こんな写真を撮った事が有りません。。。

あっと言う間に阿真ビーチへ戻って来てしまいました。
これは、お金を出す価値が有るツアーでした。
1日中オールを漕いだお陰で、親指の付け根がちょっと痛いですけど。

今晩の夕食は、恒例の「まるみ屋」さんでした。
夕方6時の開店時間に合わせて行ったんですが、すでに満席近くになっていました。
それでも席には座れたので、今日も美味しい酒盛りを楽しみました。

また帰りに「105スーパー」で、中ハイを昨日より1本多く買って帰り、部屋に戻って飲み干し、今日も9時過ぎには就寝となりました。

早くも3日目の朝となり、いつもの朝食を頂きました。
昨晩は1本多く飲んだせいか?今日は若干酒が残っている感じでした。

今日は2年振りに阿嘉島へと行って来ました。

村内航路「みつしま」は、朝7時45発にいつも乗船してたんですが、その後の便の8時30分発「渡嘉敷島」行きが今日は運行している事を前日に確認していたので、この便で阿嘉島へ向かいました。

久しぶりの阿嘉島へ上陸。

到着後すぐにレンタル自転車を借り、取り合えず「阿嘉島」と「慶留間島」を結ぶ橋の上まで登り写真を撮って来ました。
いやー!ここから見る景色は、やっぱり絶景です。

橋を下ってニシバマビーチへ向かいました。
阿嘉島って、海を上から写す感じの写真が良く、とにかく絵になります。

人もまばらでしたが取り合えず海に飛び込みました。

ダイビング船が居る辺りまで行くと珊瑚や魚が群れてました。

泳いでいると、上空をヘリが旋回していて音が怖くて気になったので、早々に泳いでテントまで戻って来ました。

しばらく休んだ後、再度泳いで見ました。
珊瑚が居るところまで遠いんですが、ここまで来る価値は有ると思います。

昼食は自転車で「パーラーみやま」まで食べに行きました。

沖縄そばが温かくて、泳いだ後の冷えた体にぴったりでした。
毎回この店に来ると、外のビーチ前の席に座ってるんですが、すずめに餌をあげる人が増えてるのか?やたらとすずめが飛んで寄って来てます。
うちの奥さんは辛抱の限界にきたらしく、すずめに手を当てるくらいの勢いで追っ払ってました。
しかもノールックでした。

この店のこのポジション落ち着きます。

また自転車でビーチへ戻ると、テントや人の数が増えてました。

しばらくテントで寝てたんですが、暑くて1人で泳ぎに行って見ました。
流れが速く、真直ぐ泳いでいるつもりが知らないうちに遊泳区域の端まで行っていて、一生懸命波に逆らって戻って来ました。

疲れて休んでいるうちに、今度はうちの奥さんが1人で泳ぎに行ってました。

今日は若干雲も多めでしたが、まあまあの天候で何よりでした。

午後2時過ぎに荷物をまとめて港へ向かいました。

さらば阿嘉島!

座間味島へ戻って来て、宿で最後のシャワーを浴びました。

何か冷たい物が欲しくなり「105スーパー」で「ガリガリ君」を買って、店の前のベンチに座り食べました。
すると1人の男の子が懐っこく話しかけてきました。
よく見ると、この子は「サマーハウス遊遊」の末っ子の「ラオー」じゃないか?と思い「ぼくっ!ラオー君じゃない?」と尋ねると、首を立てに振ってました。
やっぱり!2年前に見た時は赤ん坊だったのに、すっかり普通にしゃべれるようになってました。
ラオーは行ってしまったんですが、ガリガリ君を食べ終わると私のは当ってました。
お店でもう1本もらい、ラオーにあげようと探して見ました。
居ました。
お姉ちゃんや他の子供達と一緒に遊ぶところでした。
私が、さっき食べてたガリガリ君が当った事を話してラオーにあげると、何故かお姉ちゃんが大喜びして、受け取ってました。
まあ末っ子だからお姉ちゃんには逆らえないので仕方ないかな〜。

帰りは今回奮発して高速船にしていたので、港へ行っても1時間くらいまだ時間が有り、濡れたシュノーケルなどを天日干しして待ってました。

やっと出発時間の10分前に船がやって来ました。
高速船は着いてすぐ10分で出航の為、乗船して待つ事もできず、ひたすら西日の当る乗り口前に待っていました。
船が到着するまでの10分が暑かった〜!

ただ、出航したらやっぱり早くて、少しウトウトしたくらいで「とまりん」に到着しました。
波さえなければ、やっぱりこっちの方が楽かも?!
と言う訳で多分今年最後の座間味島ツアーは終了となりました。
まだまだ知らない場所が一杯有る事も解ったので、来年はもっと色々なツアーに参加しようと思います。
↓水中動画をまたデジカメで撮って来ました。
古座間味ビーチ:動画
小安慶名敷ビーチ:動画
嘉比島裏ビーチ:動画
|