【平成24年 7月 9日(月)〜平成24年 7月11日(水)】

先週までの1週間「香港A型インフルエンザ」にかかって倒れ、医者に「1週間は外出しないで下さい。」と言われていた外出解禁日が、本日9日(月曜日)からだったので、病み上がり早々に座間味島へ行って来ました。
朝起きた瞬間から土砂降りの雨模様でした。
バスで「とまりん前」まで行き、ほんの100m位「とまりん」まで歩く間にも、びしょぬれになる程でした。

フェリーに乗り込んでもガラガラに空いてました。
どうやら雨で乗船キャンセルする人が多かったようです。

今日からの宿「民宿みやむら」は初めて泊まる宿でしたが、とてもきれいでした。

部屋も洋室1泊朝食付きで、4,500円/人とリーズナブルでした。

こちらは和室タイプの共同バス・トイレですが、かなりきれいでビックリでした。
(私達は洋室タイプなので、ユニットバス付きでした。)

とにかく1日中土砂降りだったので夕方まで部屋に引きこもり、夕方6時になると同時に夕食を食べに「まるみや食堂」へ出かけました。
全く動いていないので、お腹も減らず食もあまり進みませんでした。

あっと言う間に翌日の朝となり、朝食を頂きました。
今日も食欲が無く、ちょっと気持ち悪い位でした。

取り敢えず雨が降っていたんですが、古座間味ビーチへ行って一泳ぎしては見たんですが、雨もやまず、寒いだけなので昼過ぎには宿に戻って来ました。
午後はやる事も無いのでレンタサイクルを借りて、ぶらりと散策しました。

阿真ビーチ辺りまでウロウロと走っていると、うちの奥さんが「暑いとか」、「もう走りたくない」とか、だだをこね始めたので宿へ戻りました。

宿でしばらく休んで夕食に出かけました。

今日は、宿の2階の「ラトゥーク」に行って見ました。
ここは以前1度食べた事があって、美味しかったのを覚えていたので行って見ました。

なかなか、どれも美味しくて満足でした。

翌日3日目やっと晴れました。

渡し舟で無人島の「安慶名敷島」に到着すると、今日は続々とお客さんがやって来ました。

海は、やっぱり晴れている方がきれいでした。

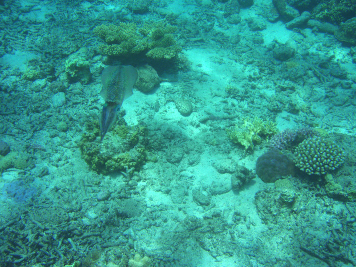
これは、うちの奥さんが見つけたイカです。
確かに海でイカを見たのは初めてかも?!

今回は、去年買ったレスキュー用の棒状の浮き輪を引っ張りながら泳いで見ました。
何かあった時には凄く助かると思うんですが、自作で付けた紐が足に絡まってとても泳ぎにくかったです。

今日は午後2時に渡し舟で迎えに来てもらいました。
あっと言う間に無人島は終わってしまいました。

約5分で座間味港に到着。

宿のシャワーを借りて急いで港へ行き、午後3時出航のフェリーに乗船しました。
帰りも船はガラガラでした。

今回行かなかった阿嘉島も、今日はきれいな海の色をしてました。

帰りに、こんな快晴なんて、ちょっと悔しい気がしましたが、また2週間後に行きますので。

座間味島2泊3日の旅終了。
|