【平成21年7月27日〜平成21年7月30日】

今月2回目となるケラマ諸島への旅は、座間味島に行って来ました。

渡嘉敷行きの船と同じく、「とまりん」をAM10時に出航するフェリーでした。
月曜日の出発と言う事で、あんまり乗って来る人も居ないだろうと思っていたんですが、夏休み期間ともあってか、結構満席状態でした。

出航から1時間半後に、阿嘉島に到着しました。
実は当日の天候は雨となっていたんですが、阿嘉島に着く頃には晴れていました。(ラッキー!)

阿嘉島で皆が乗り降りしている頃、私達は「とまりん」の売店で買って来た、お弁当を食べ始めました。
いつもながらボリューム満点のお弁当で、満腹でした。

阿嘉島を出航して15分で座間味島に到着しました。

港に降りて行くと、毎年宿泊している宿「サマ−ハウス遊遊」のご主人が迎えに来てくれていました。
(宿の場所は歩いてもすぐなんですけどね!)

宿に着いてすぐに、今回2泊3日の予定で予約していたんですが、今日の天気が悪ければ1泊延泊しようかと思っていた旨を、ご主人に話すと「ちょっと待っててね」と言いながら宿帳を見て、何故か3人部屋に交換してもう事となりました。
2人部屋の方は、もし私達が延泊した場合に次にお客さんの予約が入っていたので、部屋を移動しないで済む3人部屋に変えて頂きました。
ちょっと、ラッキー!
ソファー付きの部屋となりました。

すぐに着替えて、ご主人の車で古座間味ビーチへ行きました。
さすがに夏休み期間中なので、海水浴客も結構来ていました。
いつもガラガラだったので、混んでいる感じがしました。
でも、湘南海岸とかと比べたら、ビックリする位少ないとは思うんですけど!

若干、雲はあったんですが、まあまあの天気でした。
透明度もこんな感じで大満足でした。

ただ、人が多いせいか少し海が濁っているような気もしました。
クラゲも少々!
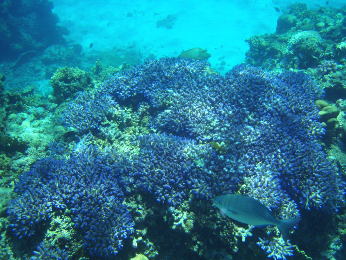
いつも、古座間味ビーチでは、珊瑚礁が集まっているビーチの真ん中辺りを、外側から泳いで見て廻っていたんですが、今日はブイの先の岩場の方まで泳いで見たら、今までこのビーチで見た珊瑚とは違った、綺麗な珊瑚礁が見れて、とても満足しました。

あー疲れたー!
午後4時頃に港への送迎バス(250円/人)に乗り込み、宿へと戻りました。

宿に着くと、まずシャワーを浴びて、その後競争の激しい洗濯機を何とか確保して、屋上に水着類を干し終わりました。
この宿は大のお気に入りで申し分ないのですが、トイレと洗濯機は、かなりの競争で、うまい具合にタイミングが合わないと結構大変かも?!

夕方5時半頃になり、食事時間の6時までブラブラと小学校の校庭を散策したりして見ました。
都会の学校だと不審者扱いされたりして、なかなか最近では学校に入る事もできないんですが、さすがに島の学校はオープンそうでした。
(って言うか、勝手に入っただけなんですけどね!)

いつも夕食はここと決めている「まるみ屋」の前に行って見ると、オープンの6時前から家族連れやら、数組のお客さんたちが店の前をうろうろしていました。
さすが、夏休み!
(今まで行った時には、開店前から待っているお客なんて、私達位しか居なかったんですけどね〜!)

取り敢えずビールを頂き、つまみを4品程頼みました。
島には数件しか居酒屋さんはないんですけど、この店は普通に旨くてボリュームも有り、新橋辺りに出しても戦えるんじゃないかな〜と思う程です。
お腹も満たされたところで、帰りに「105スーパー」に立ち寄り、ビールとつまみを買って帰りました。
疲れていたので、この日はすぐに目の前が真っ暗になりました。

気がつけば翌朝となり、朝食を食べていました。
旨いけど、普段食べない量なので満腹で苦しかったです。

2日目は、前日に宿のご主人から「明日の朝、北海道から来ているご夫婦が、前に連れて来てもらった「チシビーチ」へ行きたいと言うので、一緒に行きませんか?」と誘われていたので、8時半出発で出かけました。
場所は、港や古座間味ビーチとは全く反対側の島の北部で、絶対に自分たちでは行かないところでした。
着いて驚きです。
かなりの断崖で、泳げる所までは結構な崖を降りて行かなければなりませんでした。
しかも、宿のご主人は、ちょっと草むらを歩いた辺りで「ここから下の方に降りて行って下さい。」との案内で終わりました。
去年も来ているという北海道から来ている50代のご夫婦と私達夫婦の4人で降りて行ったんですが、何故か初めて来た私が先頭を歩く事になりました。
岩場、怖いよ〜!
何とか泳げる所まで降りると、もうヘトヘトでした。

ここの海は、正面の真ん中辺りは、かなりの浅瀬になっていて、波が打ち寄せて転んだりして危険なので、海岸の一番奥から珊瑚礁のリーフ沿いを泳いで下さいと言われていました。
海に入ると、今まで泳いでいた何処よりも水深が深く、最初は、ちょっと怖い気がしました。
でも、リーフ沿いを泳いで行くと、珊瑚の数も今までに泳いでいた何処よりも多く絶景でした。

とにかく凄いの一言です。
珊瑚の上に珊瑚が重なりあっていて、無数の珊瑚礁が居るんですが、これが写真では全く伝わりません。

珊瑚の数が多いので、当然魚達も多く生息しています。
たまには、ここでマンタも見れるそうです。
ここ絶対お勧めです。
(海水浴で行くようなビーチではないんですけどね!)

宿のご主人と待ち合わせしていた、午前11時半には崖の上まで登って、何とか展望台にたどり着く事ができました。
登って行くとすぐに、ご主人が「はい、どうぞ!」とビールを渡してくれました。
さすがに、朝からビールを飲む習慣が無い私達と、北海道のご夫婦も「じゃー2人で1本頂きます」と言って一杯飲んだんですが、これがめちゃくちゃ旨くて驚きでした。
たぶん、だいぶ長くシュノーケルをくわえて泳いでいたんで、喉がカラカラになっていたんだと思います。
(それにしても、旨かった〜!)

チシ展望台からの帰り道に、ご主人が「カメの産卵場所を見に行きませんか?」と言うので、連れてってもらいました。
この写真は、キャタピラーの跡じゃなく、海亀の足跡だそうです。

それで、海亀が産卵した場所には、卵をふんずけないように、こうやって目印を置いているそうです。

このまま北海道のご夫婦は、古座間味ビーチで降りると言うので、私達も降りる事にしました。

ご主人の話では、ブイで囲まれている遊泳区域よりも、全く反対側の左の方で泳いだ方が良いですよと言っていたので、昼ごはんを食べた後こっそりと行って見ました。
(全く遊泳区域では無いので、監視員に注意されるんじゃないかと思い、こっそり行きました。)
だいぶ歩いた辺りで海に入って見て3mも進むと、クラゲの大群が居ました。
私達は、あわてて引き返しました。
仕方なく遊泳区域で2回程泳いで見たんですが、やっぱりこっちもクラゲが多くて、2時過ぎ頃に早々に宿へと帰りました。
でも今日は、午前中に入った海が大満足だったので、全く心残りはありませんでした。

宿に戻って、シャワーや洗濯を済ませると、結構いい時間になっていました。
この日は延泊の手配やらで、あっと言う間に時間が過ぎました。

それにもうひとつ、夕方から夕日を見に行くので、一緒に行こうと宿のご主人に誘われていました。
実は、宿に泊まっているお客さんで、埼玉から一人で来ている女の子が夕日を見に行きたいと言うので、私達は無料でいいので行きましょうと、ご主人に誘われていました。
またまた、ラッキー!
ここは、以前 Kガ夫妻と一緒に歩いて登った展望台です。
さすがに車だと早いですね〜!
以前登った時の事を思い出すと、もう2度と登らないと思っていたんですが、車なら別です。
(何度でもOKで〜す。)

その後、夕日が沈むのを見る絶景スポットに行って、しばらく夕日を眺めていました。

最後は、ご主人もよく来ると言っていた山の頂上付近で、辺りが暗くなるまでたたずんでいました。
ここでビールを1本ごちそうになり、ほろ酔い気分でした。

宿に戻った頃には、夕方5時頃に沖縄そばを食べていたので、普通にお腹一杯の状態でした。
でもビールとつまみは買いにいきました。
またまた目の前が真っ暗になりました。

気がつくと3日目の朝となり、無意識で朝食を食べていました。
またまた満腹〜!
この日は延泊したお陰で、うちの奥さんの1日分の使い捨てコンタクトレンズが足りなくなり、昨日から水につけておいた、使い廻しの危険なコンタクトを使用する日となりました。
(途中ちょっと目がごろごろすると言ってました。かなり危険なので、もう2度とやらないそうです。)

今日は阿嘉島に行く事にしていたので、食後早々に港へとやって来ました。

片道1人300円で、阿嘉島まで行く事ができます。

阿嘉島に到着すると、今回はレンタル自転車を借りようと決めていたので「スーパー辰登城」へ行って、自転車を2台借りました。
ついでに荷台に縛るロープも借りて、テントとシュノーケルセットをくくりつけて出発しました。

阿嘉島と慶留間島を結ぶ橋の上から撮った写真です。
ここからの写真が一番のお気に入りで、最初に行った時に撮った写真を、ずっとパソコンの壁紙に使っているくらいです。

初の慶留間島上陸となったんですが、自転車が爽快で、いつまでも遠心力で進みそうでした。
でもしばらく進むと、上り坂に当たり、重力の凄さを思い知らされました。

慶留間島と空港の島(外地島)を結ぶ橋の上から撮った、ビーチの写真です。
「スーパー辰登城」の店員さんに教えてもらいました。
もう汗だくだったんで、すぐに海に入る事にしました。
しばらく浅瀬が続いたんですが、浅瀬は終わりが有りませんでした。
ずーっと膝くらいの深さで、しばらく泳いで見たんですが、全く水深が変わらなかったので、諦めて戻って来ました。
ここは、泳ぐのは向いてないかも!

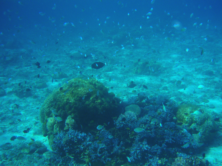
いつものニシバマビーチへやって来ました。
いつもなら港からここまで歩いて来ると結構疲れてるんですが、さすが自転車だと楽々でした。
いままでも、自転車を借りとけば良かったかも!

いつもはガラガラで貸しきり状態のニシバマビーチも、やはり夏休みで賑わっていました。

観光で来ている人達が餌づけをしているのか、以前よりも魚達がかなり迫って来ていました。
私にまとわり付いていた魚達が、次にうちの奥さんを取り巻いていました。
ちょっと、近すぎ!

昼食は、ビーチ前のパーラーも有ったんですが、混んでいたので自転車で港の前にある「パーラーみやま」に行って見ました。
自転車借りといて正解でした。

うちの奥さんが頼んだ、タコライスです。
旨い旨いと言って食べてました。
ここに来てから、やたらと食欲が有るらしく、私よりもガツガツと食べていました。

「パーラーみやま」のテラス席から見える風景です。
阿嘉島って、海の色が一味違うような気がします。

私はあまり食欲が湧かなかったので、昨日の昼にも食べた沖縄そばになりました。
昨日から汗をかき過ぎて、ちょっと脱水症状気味でした。

食後、自転車でニシバマビーチへ戻り、2回程泳ぎました。
実はこの日もクラゲが少々多くて、あんまり泳ぐ気にならず、砂浜辺りでチャプチャプと浮かんでいました。

座間味島行きの定期船は3時半出向だったので、2時半過ぎにテントをたたんで港へと戻りました。

阿嘉島さらば!
自転車、楽しかった〜!

宿に戻ってシャワーと洗濯を済ませました。

今日の夕食は1泊延泊したので節約の為、去年からオープンした超安い居酒屋「シーサー」へ行きました。
(泡盛飲み放題+食べ放題で、1人1,000円です。)

去年行った時には、泡盛のボトルと氷+水が出てきて、食事は、おじさんが順番に作った物が並ぶので、自由に食べていたんですが、今年は、女将さんが人数分を運んで来てくれる方式に変わっていました。
最初に出て来た物を食べ終わると、ちょっと物足りなかったので、もう少しと言うと、どっさりと2回目が運ばれて来ました。
残しちゃいけないと思い、がんばって食べたので、最後の方はかなり苦しかったです。
でも、これって、絶対に採算が合わないと思うんですけどね〜!
多分、趣味を兼ねてやってるんだと思います。
満腹だったんですが、帰りにまたまた「105スーパー」で、お酒とつまみを買って帰り、完全に気を失ってしまいました。
翌朝、食堂で北海道のご夫婦と話しをしたら、昨日も「チシビーチ」に行った後、古座間味ビーチへ行ったそうなんですが、クラゲは全く居なかったそうです。(うむむ)
ちなみに、このご夫婦は、今日、朝10時の船で那覇の「とまりん」まで戻り、また船に乗って座間味島のすぐ隣りに有る渡嘉敷島へ行くそうです。
座間味島から、目の前に渡嘉敷島は見えてるんですけどね〜!
それにしてもタフなご夫婦でした。
(かなり沖縄の海を満喫してそうです。)

最終日は、無人島の安慶名敷まで渡し舟に乗って行きました。
船代がちょっと値上がりしてました。
(去年まで1,000円/人、今年1,500円/人)

到着後すぐにテントを設置しました。

海に入ると、やっぱりこの日もクラゲが多くちょっと残念でした。

でも、珊瑚や魚達は綺麗でした。

今回も振り返れば奴が居ました。

今回は、シーカヤックツアーでこの島に上陸する人達が多く、上陸後インストラクターに連れられ、シュノーケリングで案内されている説明の声が、沖の方から聞こえていました。

この日はクラゲが多かったせいか、家族連れで来ている人達は、渡し舟に電話して早めに帰って行きました。
私達は帰っても居るところが無いので、「105スーパー」で買って来たおにぎりを食べて、午後にまた泳いで見たらクラゲが居なくなっていました。
この写真、全く写りは良くないんですが、海の透明度が良く判ると思い載せて見ました。
とにかく、綺麗です。
もう少しで飲めそうな気がします。

クラゲも居なくなり、観光客も少なくなったビーチを満喫していると、渡し舟の船頭さんがやって来ました。
うむむ!
時計は午後1時過ぎでした。
またもや間違えてるんじゃないかな〜っと思いつつ海に浮かんでいると、案の定、船が近づいて来たので「2時って言いましたよー!」と言うと、船は港へ帰って行きました。
もうちょっと、遊ばせてよ〜!
でも、あっと言う間に2時になり、本当に帰る時間になりました。
まだ居たいよ〜!

最後に宿に戻ってシャワーと洗濯機を借り、荷造り完了となりました。

まだ時間が余っていたので食堂に行くと、去年生まれたばかりの宿の末っ子が、凄い勢いの「ほふく前進」で向かって来ました。
思わず抱っこして見ると、赤ちゃんの体温が高くて、どっと汗が噴出しました。
宿のご主人、今年で50歳になったそうなんですが、5人目の子供は0歳ですからね〜!凄い!
先週も泊まりに来た年配のおばさん達に「かわいい、お孫さんですねー!」と言われ、その人達が宿泊している間中、孫で通したそうなんですけど。

午後3時過ぎには港へ行き、汗だくで出航を待つ事にしました。
あんまりにも暑かったので、また港から出てアイスクリーム屋さんまで買いに行ってしまいました。
アイスを受け取って、店を出た瞬間に溶け出していました。

3時半から乗船開始になり、船に乗り込んで涼んでいました。

さらばじゃ、座間味島!
また、すぐに来ますので!

出航後、阿嘉島に立ち寄り、また阿嘉島を出航する時に、桟橋からダイビング客の見送りにダイビングショップの店員さん達が海に飛び込むのが恒例になっていたので、それを見る為デッキに出て見たんですが、誰も飛び込んでいませんでした。
危険なので止めたのかも知れませんねー!

那覇にだいぶ近づいた頃に、ケラマ諸島方面を見たら雨が降っているようでした。
私達ついてたのかも!?

2時間の船旅は長いと思っていましたが、気が付けば「とまり大橋」まで来ていました。
楽しい時間が過ぎるのは早いもので!

無事、「とまりん」到着となりました。
また、すぐに行きたいーーー!!!
↓今回は、水中動画では無く、無人島をデジカメで撮って来ました。
安慶名敷デジカメ動画
|