【平成19年9月26日〜平成19年9月28日】

丁度約2ヶ月振りに、今年最後になるだろうと思われる、座間味島に行って来ました。
本当は阿嘉島に行こうとして予約したりしたんですが、フェリーの時刻表が午後到着の遅い便に変更されていたり、高速船が止まらなかったりと、ほぼ阿嘉島に行けない状況になっていたので、今年3度目の座間味島行きとなりました。
座間味島でも高校生の修学旅行が入っていて、ほとんどの宿は宿泊不可と断られたんですが、昨年に一度泊まった事の有る「メゾンかにく」に何とか予約が取れて行って来ました。
港に到着すると、「メゾンかにく」のご主人が迎えに来てくれていました。
私の顔を見るなり、「去年、一度来て頂いてますよね!」と言われ、覚えてもらっていました。
すぐに宿に到着し、「着替えられたら、すぐにビーチに行かれますか?」と聞かれたので、「ハイ」と返事をすると、「じゃー下で待っています。」と言われ、即効で着替えを済ませて、古座間味ビーチまで送ってもらいました。
(この宿のメリットは、ビーチ間の送迎を無料でやってくれる所です。ありがたい!ありがたい!)

熱い!
やっぱり、座間味の海はとても熱く、テントの設置を終えてすぐに海に入りました。

前回に来た時にはクラゲが結構居て、ちょっと嫌だったんですけど、今回は全く居ませんでした。
但し、高校生の団体が波打ち際にたくさん居たので、ちょっと海の水が濁っているような気がしました。

でも、沖の方に出ると、やっぱりいつも通りに綺麗な海でした。
(高校生達は、危険防止の為かシュノーケリング禁止にされていたので、沖の方は静かでした。)
また、いつものように写真をバシバシと撮っているうちに、潜って下からサンゴ礁ナメの水面写真を撮って見たくなり、やって見ました。
どうでしょう?!
結構、いい感じになっていると思うんですけど!

ふと水面に顔を上げて浜辺を見ると、いつもの古座間味ビーチでは考えられないような、まるで湘南海岸に来たかのように、高校生達のキャーキャーと言う声が響き渡っていました。
この日は高校生の他にも、マリンスポーツのインストラクターを養成している「ウェル」と言う専門学校の生徒達も来ていて、大変な混みようでした。
(9月の終わりだと言うのに!)

ビーチの右奥の方に岩があって、その先は遊泳禁止区域になっているんですが、その岩の先の方には、まだ行った事が無かったので、ちょっと散歩に行って見る事にしました。

岩の先にも、遊泳区域以上の長さのビーチが広がっていました。
そのビーチの先端まで行くと、目の前に安室島が50mくらい先に有りました。
すぐに泳いで渡れそうな気がしたんですが、ここは潮の流れが早いので危険らしく、絶対にやっちゃいけないらしいです。
安室島は、無人島渡しの船代が他の無人島の2倍の1人2,000円に設定されているんですが、凄く近いんですけどね!
どうして?

私達は海岸をビーチグラスを探しながら、また岩の方に戻って行きました。
(最近、海岸に行くたびにビーチグラスを探しています。いつか集まった物で、ビーチグラスランプを作ろうとしているんですが、今のペースだと何十年後だろう?と言う感じです。)

高さ2〜3mくらいの岩の上から見た、海の光景です。
黒っぽく見えるところ辺りが、珊瑚が生息している場所です。
こんな事をしながら散歩していたら、またビーチに到着したての時のように熱くなってきたので、急いでテントまで戻りました。

海に入ると、熱さが一気になくなり爽快な気分になります。
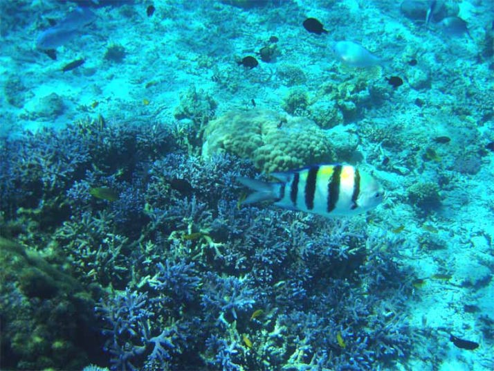
古座間味ビーチの魚達は完全に餌付けされているので、とにかく人に近づいて来ます。
ちょっとより過ぎて、写真を撮るのに邪魔なくらいです。
うちの奥さんも、手を腰の後に組んで泳いでいたのに、指をかじられかけたと言っていました。

再度潜って、下からの写真を撮って見ました。
我ながら良い写真だ〜!
でも、こういう写真を撮っている時には、写真に夢中になり過ぎて、水面に上がるまでの時間を忘れて、がんばってしまう事が有り、やっと上がると、息が限界まできている事がよく有りました。
危険!危険!

初日は、午後3時過ぎくらいまでビーチに居ました。
島に到着したのが、高速船で来ていたので10時前くらいだったので、結構な時間ビーチに居ました。
この日、周りにいた修学旅行生の行動を考えると、最初は波打ち際で遊んでいるだけかと思っていたんですが、良く見ると、順番にインストラクター付きのシュノーケリングツアーとバナナボートをやっていて、その他の待ち時間に波打ち際で遊んでいました。
中には私達が去年お世話になった、シュノーケリングツアーの和山さんも、インストラクターとして指導していました。
うらやましい限りです。
普通はお金を払ってやらせてもらう物が、体験学習と言う名目で、まるで学校が生徒に接待しているかのようでした。

帰りも「メゾンかにく」に電話を入れ、迎えに来てもらい宿に到着しました。
(ちなみに高校生達は、歩いて山越えをしていました。これはちょっときついかも!)

シャワーを浴びてさっぱりして、今晩の店探しに出かけました。
座間味に来た時には、いつも行っている「まるみや食堂」が、本日水曜日が定休日とゆうのを知ってはいたんですが、一応確認の為、店まで行って見ると見事にシャッターまで閉まっていました。
仕方なく、座間味集落の真ん中辺りに位置するレストラン&バー「ラトゥーク」と言う店に行く事にしました。
ここは、以前来た時にも行ってみたんですが、店が開いてない様子だったので諦めた店でした。

開店時間が、PM6時からと下の看板に書いてあったので、ピッタリ6時に入ってみました。
すると、「夕食のチケットはお持ちですか?」と聞かれたので、「私達は、ただ食事に来ただけです。」と言うと、手前のテーブル席では無く、奥の座敷に案内されました。
どうも、他の宿と提携しているらしく、夕食のチケットを渡して、食事のみをこの店でとる人達が居るようでした。
取り敢えず生ビールを頼んで乾杯し、ちょっとお値段が〜と思いつつも、つまみをいくつか頼んでみたんですが、一品一品の量が凄く多い上に、味もかなり美味しく、大満足でした。
帰りに、「105ストアー」に立ち寄って、缶ビールとつまみを買い込み、宿に帰って行きました。
さすがに初日は早起きして泳ぎまくったせいか、すぐに眠くなり、あっと言う間に寝てしまいました。

気が付くと、翌朝になっていました。
2日目は、朝7時45分に座間味島発の8時着の渡し舟で、阿嘉島へ行く事にしていました。
早々に準備を済ませて出かけました。

港に着くと、朝早いせいか、早起きが習慣になっているらしき観光客のおじさんが居たくらいで、他にはほとんど誰も居ませんでした。

そうこうしているうちに出発時刻に近くなって来たので、運転手も来ていないのに、私は先に船に乗り込んで待っていました。
かなり小さな船で、10人ちょっと乗るといっぱいになりそうな感じでした。
私達みたいな観光客も居ましたが、通勤で使っているような人達がほとんどでした。

あっと言う間に阿嘉島に到着しました。

到着後にスーパー「辰登城」で、朝食と昼食を買い込もうと計画していたので、さっそく行って見ると、店には何も置いていませんでした。
かなり予想がはずれて、仕方なくパンとお茶のみを買って、近くの公園でしょぼい朝食を取る事となりました。

テクテクと歩く事約20分で北浜ビーチ(ニシバマビーチ)に到着しました。
このビーチの景色は最高です。

階段を降りて行くと、真っ青の海が広がっていました。

さすがに朝9時前だったので、誰一人ビーチには居ませんでした。
と言いたいところですが、私達が歩いて向かう途中で、自転車に乗った観光客の2人組みの女の子達に抜かれて、一足早く、その子達が来て居ました。

さっそく、いつものテントを設置してすぐに海に入って見ました。

誰一人いないビーチで2人だけで泳ぐのは、ちょっと不安だったんですが、海の透明度が綺麗で見入ってしまいました。

このビーチは、珊瑚が見える場所まで、海岸から50〜60m行かないと何も無いので、その間を泳いでいる間が、ちょっと不安になります。
でも、その先には白い砂地の中に、ポツポツと珊瑚の群れが見えて楽しくなって来ます。
実際、朝からダイビング船が2隻、この場所に停泊して、ダイビングポイントにしているくらいの場所ですから。

しばらく泳いだ後に、疲れたのでテントに戻り休んでいたんですが、何となく砂遊びをしたくなり、守り神のシーサーもどきを造って見ました。

こんな事をしていたら、すぐに熱くなってきたので、また海へ入って行きました。

昨日につづき、ここでも頑張って潜って下から撮影して見ました。
またまた、自我自賛の写真が撮れました。

お昼近くになり、お腹が空いてきたので、ビーチの上に有る去年泊まった「民宿くば」のおじさんが経営している、海の家に行って食べる事にしました。
沖縄そば600円、まあまあでした。

食べ終わった後に、展望台に登って見る事にしました。

展望台からは、ニシバマビーチが一望でき、なかなかなの景色が広がっていました。

熱っ!
そうこうしているうちに、また熱くてたまらず、すぐに降りて海に飛び込みました。

午後になって来ると、だんだんと干潮になってきて、水深がかなり浅くなっていました。
雨も降ったり止んだりの繰り返しが多くなり、雲も大分多くなって来たので、ここで思い切って移動する事にしました。
阿嘉島の港の横にある、名も無いビーチで、ほぼ漁港と言った感じの場所なんですが、去年もちょっと泳いで見て、覚えていたので、行って見ました。
最初は、うちの奥さんが嫌がっていたので、私が一人で行って見たんですが、ちょっと沖の方へ行って見ると、無数の巨大な珊瑚の群れが、永遠と続いていました。
これは絶対に見るべきだと思い、すぐに岸へ戻って、うちの奥さんに入って見るように薦め、もう一度行ってみました。
沖へ行けば行くほど凄い数の珊瑚が連なっていて、何処まで続いているのだろうと不安になるほどでした。
(あんまり行くと、港を出てしまいそうだったので!)
そろそろ上がろうとしていると、茶髪の青年3人が、「ここは、どうですか?」と聞いてきたので、「ニシバマより、こっちの方が良いかも!」と私が言うと、驚いていました。

港へ向かう途中、港から数十mくらいの道路の脇に、野生のケラマ鹿が普通に座っていました。
ここを通る人達が、入れ代わり立ち代り近づいて写真を撮っていたんですが、鹿は全く動じず、悠然と構えていました。
一人、度胸試しでもしているかのように、おじさんが餌を手に乗せて食べさせようと、少しづつ近づいて行ったんですが、ある程度の距離まで来ると、鹿は離れて間隔をあけていました。
2mくらいが、鹿の限界なんだな〜っと、知る事が出来ました。

港に着くと、すぐに出航時間となり、乗船して帰って行きました。

午後3時45分に、座間味島に到着しました。

すぐに宿に戻ってシャワーを浴びました。
夕食前に、明日の朝食を買いに「105ストアー」へ行って見ました。
凄い!
高校生にあらゆる食べ物を買い尽くされて、何も残っていませんでした。
明日の事は、明日考える事にしました。

本日の夕食は、やっぱり行きなれた「まるみや食堂」にしようと歩いていると、見慣れない「シーサー」という店があったので、店先でのぞいていると、通りがかりのオジーが「この店は美味しいよー!」と言うので、気になってきたんですが、やっぱり「まるみや食堂」にしようと思い、店の前に着いた所で、どうしてもさっきの「シーサー」が気になり、結局戻って行く事にしました。
入り口の看板に、泡盛飲み放題で、一人1,000円、ビールは1杯500円と書いてありました。
店に入って席に座ると、有無も言わさずオバーが泡盛のボトルと氷に水・グラスのセットを運んで来て、「うちは、これで1,000円です。」と言って、去って行きました。
つまみのメニューをもらおうとオバーを探していると、「つまみ出来ましたー!」との声がして見てみると、私達の隣にずらっと料理が並んでいて、聞いて見ると、この店はつまみがバイキング方式になっていました。
よく話を聞いて見ると、泡盛飲み放題+つまみ食べ放題で、1人1,000円という内容でした。
めちゃくちゃ安っ!
たらふく食べて、飲んで、2人で2,000円でした。
宿に戻って、しばらくすると、またバタン・キューとなりました。

またまた気がつけば、翌朝3日目となっていました。

起きてすぐに、今日の朝食と昼食を買いに、「パーラーザマミ」に行きました。
店に行って見ると、おじさんがひたすらコロッケを揚げていたので、注文をお願いして見ると、「弁当は、朝10時半にしかできません。」と言われたので、何が作れるのかを、尋ねて見ると、タコライスとハンバーガーは、朝8時半くらいにできると言う事だったので、それを注文して、一旦宿に戻る事にしました。
8時半に受け取りに行って、ハンバーガーの朝食をとり、着替えて出かける準備をしました。

今日の予定は、前回にも行った無人島の安慶名敷島に行く事にしていました。
さっそく港に向かうと、かなりの集団が、いつも頼んでいるオジーの渡し舟に乗り込んで行くのが見えました。
しばらくしてオジーが戻って来たので聞いて見ると、高校生達を数回に分けて、安慶名敷島に連れて行ったとの事でした。
あ然としました。
また無人島でも一緒かよー!と思いつつも、予定していたので行く事にしました。

オジーの話では、朝11時45分には迎えに行くという話だったんで、午前中だけなら良いかーっと思いながら到着しました。

ビーチの遊泳区域前は、高校生達が作った砂山に占領されていました。
まるで蟻塚のようでした。
私達は仕方なく、ちょっと離れた場所にテントを張りました。

さっそく海に飛び込み、沖の方の深く落ち込んでいるドロップゾーン辺りから、島の周りを泳いで行きました。

さすが無人島!
海の色が鮮やかで申し分有りませんでした。

ところどころで綺麗な珊瑚は有るんですが、前回来た時に見た絶景の場所が見当たらず、どんどんと進んで行きました。
気がつくと、出発したビーチが全然見えないくらい、島の周りを半周していました。
どこかで見逃したのかと思い、岸から上がってテントまで歩いて戻りました。

そうこうしているうちに、高校生達は、お迎えの船が来て帰って行きました。
私達も、昼食のご飯がぎゅうぎゅうに詰まったタコライスを食べる事にしました。
結構、旨かったです。

何度か泳いでいるうちに、前回見た絶景ポイントの珊瑚が減少している事に気づきました。
あっと言う間に、たったの2ヶ月でこんなに珊瑚が減っているとは思いませんでした。

でも、やっぱり綺麗な事は間違いなく、とても満足できる島でした。

午後になると水深が浅くなってきて、流れも速くなって来ました。
気をつけないと島から流されてしまうので、あんまり遠くまで行かないようにしないと!

昼食を食べ終わった頃に、また別のグループの高校生達が、船4隻でやって来ました。
またまた、ワーキャーの凄い騒ぎとなってしまいました。

何回か泳いで、時計を見てみると、2時半くらいになっていました。
いつも、オジーは決めた時間よりも早く迎えに来るので、今日もそろそろ来るかと思い、船が近づいてくる度に確認していたんですが、今回はなかなか来ませんでした。
今朝は、出発の時に書く乗船名簿を確認したところ、船に置いてあったボールペンのインクが出なかったので、オジーは覚えておくと言っていました。
心配だったので、何度も念を入れておいたんですが、もしかして今日は遅く間違えているんじゃないかと、ちょっと心配になってきました。
また1隻の船がやって来たんですが、操縦士とは別に、もう一人オジーに似ている人が、船の先頭に立って乗って来ました。
私は、何かオジーに似てるな〜っと思いながらも、船の名前が違うので、浜辺でゆったりとしていました。
それからしばらくして、ふと後を振り返ると、私達の荷物を漁っているオジーの姿が見えました。
慌てて名前を呼んで見ると、やっぱりオジーでした。
どうも、オジーの船のスクリューが壊れて、知り合いの人に頼んで迎えに来ているとの話でした。
結局、迎えに来る予定の時間は3時だったんですが、3時前には座間味港に到着していました。

「メゾンかにく」の基本は、10時にチェックアウトなんですが、1部屋1,000円をプラスすると、船の出港時間まで、延長できるシステムになっていたので、私達も延長していて、部屋まで戻って着替える事にしました。
このシステムは、かなり便利かも!
港の近くでは丁度エイサーをやっていました。

帰りの船の時間は5時20分発だったので、それまでゆったりとシャワーを浴びて身支度を済ませ、しばらく部屋で休んで行きました。
写真は、この宿でレンタルしているバギーです。
結構なお値段なので、まだ借りた事は有りません。

船の乗船開始時刻がわからなかったので、ちょっと早めに港に向かいました。

港に到着すると、ハーリーの競争をやっていました。

高速船が到着する寸前の、5時10分までハーリーは続いていました。
宿の奥さんも参加すると言ってたんですが、ちょっと見当たりませんでした。

フェリーの場合は、出航の30分前くらいから乗船できるんですが、高速船は着いてすぐに出航するので、本当に出発時刻のちょっと前くらいにやって来ました。
さらばじゃ!座間味島!
船に乗船し、窓から港を眺めていると、祭りで盛り上がった子供達が桟橋からダイブしていました。
島人(しまんちゅ)らしい子供達でした。
やっぱり沖縄に住んでるなら、海で遊ばないとね!
↓安慶名敷島の動画を、デジカメで2本撮って来ました。
安慶名敷島水中動画@
安慶名敷島水中動画A
|