【平成19年7月9日〜平成19年7月11日】

またまた2週間も経たないうちに、ケラマ諸島に行ってしまいました。
今回は座間味島に行って来ました。
出発時間は渡嘉敷島行きと同じくAM10時出航のフェリーで、到着時間が50分遅い12時着でした。

途中、阿嘉島に11時30分に到着しました。
阿嘉島では、約半数強くらいのお客さん達が下船して行きました。

阿嘉島から約15分程で、目的地の座間味島に到着しました。
阿嘉島の海も綺麗だったんですが、同じくらいに座間味の海も青々としていました。

本日から2泊3日で「めんそ〜れ ざまみ」に宿泊する事となりました。
建物はとてもきれいで、この地区ではかなり新しい方だと思います。
到着早々部屋で着替えてまた港に戻り、古座間味ビーチ行きのバスへと思ったんですが、実は今年から古座間味ビーチ行きのバスが廃止になり、その代わりに古座間味ビーチのショップオーナーが「マギー交通」と言うタクシー会社を始め、そのタクシーに乗って行く事となりました。
実は苦肉の策で、3日前から始めたばかりだそうなんですが!

約1年ぶりに古座間味ビーチに到着して見ると、やっぱり綺麗な海が広がっていました。
ここめちゃめちゃ綺麗で、初めて行った人はビックリすると思いますよ!

私達はいつもマイテントを持参しているので、なるべくパラソルの立っていない辺りへ行き設置を始めました。
完了!
約3分でテント設置は完了し、暑くて堪らないので、すぐに海に入りました。

この写真は、砂浜から2mくらいのところから、砂浜に向かって水中から撮った写真です。
なかなかお気に入りの写真です。

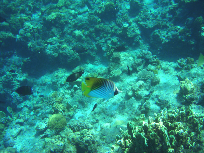
このビーチの良いところは、砂浜から海に入って、すぐに珊瑚や魚達が見れるところです。
初めてシュノーケリングをする人だと、なかなか沖の方まで行くのが怖くて、波打ち際をプカプカと浮いている程度で、あまり楽しさが解らない方もいると思うんですが、ここのビーチはすぐ近くから珊瑚が見えるせいか、皆あっという間に沖まで泳いで行ってしまいます。
珊瑚や魚の群れを見ていると、知らず知らずのうちに遠くまで行ってしまうんだと思いますけど。

珊瑚のゾーンを抜けると、海底に一面真っ白な砂丘ゾーンが現れます。
これもまた綺麗なんですよね〜。

ここの魚達も餌付けされているらしく、私が水中カメラを構えていると、異様なくらいに近づいて来ます。
カメラをビデオモードにしてジーっと構えていると、レンズの淵部分の赤いところを目がけて突進してくる魚もいます。

午後1時頃から4時過ぎくらいまで、3時間ちょっとの間ほとんど海に入っていました。
全然海から出たくない!感じでした。
この写真見て下さい!
水中と水面の両方を撮って見たんですが、昔CMで見た事のあるような写真が簡単に撮れてしまいます。

名残惜しかったんですが、「マギー交通」さんのタクシーに乗って宿に帰りました。
帰り道に「来る時はどうやって来ました?」とマギーさんに聞かれたんで、「マギーさんの車で来たんですけどー」と返すと、「あっ!そうだったんですかー!」と言う感じでした。
宿で風呂に入っった後、6時位になって夕食に出かけました。
夕食場所は、去年も行った事の有る「まるみや食堂」にしました。
多分この店は、島中で一番美味しいんじゃないかと思います。
帰りにスーパー「105ストアー」に立ち寄って、ビールとつまみ類を買い込んで帰りました。

2日目、私達は朝食付きの宿泊にしていたので、朝7時半に食堂へ行きました。
食事はとても美味しく、量もかなり満腹になる程でした。
食堂には、私達の隣りの部屋の女の子達4人組と、多分ダイビングで来たと思われる50代くらいのおじさん1人、女性1人のお客さんが2組、小さい子連れの親子3人が居ました。
食べ終わって、食堂を出て行く時に親子連れの子供が、バイバイと手を振って出て行くのがとても可愛らしかったです。

この日は無人島の「嘉比島」に行って来ました。
嘉比島までは、無人島渡しのおじーに頼んで一人1,000円でした。
嘉比島は、阿真ビーチの向かい辺りの沖合いに浮かぶ島で、港から約10分くらいで到着しました。

到着して、すぐにおじーが漁船で帰って行き、その後私達が周りを見渡して見ると、誰一人いない本当の無人島でした。
ビーチパラソルやサマーベッドは置いて有るんですが、特に業者が居るわけでもなく、結構さみしい感じでした。

取り敢えずいつものテントを建てて、さっそく海に入って見ました。
ここの島は、去年ボートシュノーケリングで連れて来てもらっていたのを覚えていたので来て見ました。
去年来た時は、島の沖合いにボートを止めて、そこからシュノーケリングをしていたので、すぐに珊瑚や魚達が見れたんですが、ビーチから泳いで見ると、結構沖の方まで泳がないと見れない事が判明しました。

でも珊瑚や魚達はとても綺麗でした。
ただ、珊瑚が見える辺りは流れがあって、この日は特に流れが強く、何もせずに浮かんでいるだけでビーチの端の方まで流されていました。
なので帰りが大変でした。
かなり一生懸命に泳いで、やっと戻れるくらいの状態で凄く疲れました。

泳ぎがきつくて足がつりそうな気がしたので、休憩を兼ねて島を探索する事にしました。
この写真は、私達が降りたビーチと丁度島の反対側です。

アダンの木が、無人島さを引き立たせていました。
これはパイナップルに似ていますが、全く違うヤシガニの好物の木です。

そうこうしているうちに11時頃になって、何処からかツアー客達が20人くらいボートで連れられて来ました。
どこかホッとしました。
本当にリアル無人島ぽくて、ちょっと寂しい感じになっていたので!

人が増えたせいか、元気になり、またまた泳ぎまくりました。
綺麗なんだけど流れが速い!の繰り返しでした。
時間も昼の12時近くになったので、宿のお母さんに頼んで作ってもらっていた弁当を食べる事にしました。
1個500円だったんですが、凄いボリュームで食べきれるか心配な程でした。
でもペロっと食べてしまいました。

再度海へ入り、水中を観察しながら楽しんだんですが、テントを設置した場所まで水流に逆らって泳ぐのに疲れたので、真横の海岸沿いに上がって見る事にしました。
今まで何故、真横の海岸から上がらずにずーっと手前まで泳いで戻っていたかと言うと、私達のテントの前辺りまでは砂浜が広がっているんですが、その横からは岩が海岸沿いに敷き詰められていたので、下手に上がると怪我をしそうで、そこから上がるのを止めていました。
でも、岩場のところからも難無く上がる事ができました。

午後2時頃になって、朝、私達を送迎してくれた、おじーが何故かやって来ました。
おじーは「もう時間の3時だから乗りなさい」と言うんですが、私の時計はどう見ても2時を指していました。
その時間をおじーに伝えると、不満そうにしながらも引き帰して行きました。
それからまた海に入り泳ぎまくっていると、ツアーのお客さん達が帰る時間になったらしく、皆ボートに乗り込み帰って行きました。
また2人っきりの本当の無人島に戻ってしましいました。
かなり寂しい感じでした。
波も荒くなって来たのでテントをしまって、おじーを待つ事にしました。
本当に迎えに来るのかちょっと不安になり沖の方を眺めていると、もう一つの隣の無人島の前に、おじーの船が停泊していました。
隣の島にも、乗せていったお客さんが居たのかな〜と思いながら、じーっと見つめていると、やっと時間になって、おじーの船がこちらの島にやって来ました。
話を聞くと、おじーは昼寝をしていたら時間を間違えて早く来てしまったらしく、港に帰るのもどうかと思い隣の島で待っていたそうです。
今日も終了となり、宿に戻って風呂に入って食事に行こうとしたら、宿の前のベンチに座っていた、お客さん(私達の向かいの部屋に滞在している、40代後半位の女性)が、声を掛けてきました。
「今日は、どちらに行かれたんですか?」と言う話になり、私達は、無人島に渡し舟で行った旨を話し、相手の女性は、古座間味ビーチで泳いでいたとの話でした。
その後、ダイビングの話になり、私達は、嫌、私は以前チャレンジしたけど、ダメだったと言う内容を話すと、その人も「昨日体験ダイビングやって見たけどダメでした」と言う返答でした。
「えっ!」、私達はてっきり、女性1人のお客さんなんで、ダイビング目的の人だと思っていたんですが、予想と違っていました。
???????ハテナだらけでしたが、「それじゃー!」とわかれて食事に行きました。
食事は、昨日と同じ「まるみや食堂」へ行きました。
昨日と同じく1番乗りくらいの速さだったので、奥の方の特等席に座って、乾杯〜となりました。
しばらくして隣の席に若いカップルがやって来て食事の注文をしていると、店のおかみさんが何やら話しをしているので、ちょっと横を見てみると、カップルの女の子の太ももが真ピンクになっているのが見えました。
おかみさんはアロエの葉っぱを持って来て「これを塗っておきなさい」と渡していました。
うちの奥さんも「わー、痛そうー!」とか話かけていました。

食後またつまみとビールを買出しに、105ストアーに寄って帰り就寝しました。

翌日3日目の朝、朝食を食べに、また7時半頃食堂へ行きました。
中に入ると、昨日話をした向かいの部屋の女性1人客の人が居ました。
朝の挨拶をした後、気になっていた事を質問して見る事にしました。
まず「いつまで滞在されるんですか?」と切り出すと、「金曜まで居るつもりなんですけど」と返答が返ってきて、その後「実は主人のマイレージが貯まり過ぎて、私は海方面に行きたかったんですけど、主人に話したら山派なので嫌だと断られ1人で来たんです。」と言う驚くべき内容を聞きました。
「えっ!」私達夫婦と宿のおばちゃんも驚いていました。
後で、おばちゃんと「普通は海好きじゃ無くても、ついて来ますよね〜!」と言う話になっちゃいました。
この日は天気予報で台風が発生したとの、おばちゃん情報で皆、右往左往する事となりました。
まず一人旅の奥さんは、私達に「今日は、どうしましょう?失礼ですが今日のご予定は?」と、聞かれたので、「私達は古座間味ビーチに行くんですけどー。良かったら一緒に行きますか?」と言って見ると、「良いですか!」との返答でした。
その後「金曜まで何しようかしら?!」と相談されたんで、「金曜日に台風が直撃するんで、何もできないと思いますよー!」と話し、「台風だと飛行機も飛びませんからねー!」と言う話をしていたら、のんびりした感じの奥さんが急に「それはまずいですー!」と言い出しました。
どうやらマイレージで来ているので、便を変更すると丸々片道分の料金を取られるという話でした。
その後、私が「以前うちに来た知り合いで、飛行機が飛ばなくて2日間延泊した人も居ましたよ!」と言うと慌てて部屋に戻り、航空会社に連絡を取っていました。
それから午後3時半の飛行機に無料で変更できたので、2時発の高速船で帰ろうと思うと言う話になったんですが「その便だと、ぎりぎりですよ」と言う話をすると、のんびり屋のこの奥さんは「お土産も買わなくちゃいけないの〜!」との話をしていました。
それは時間的に全く無理ですと話すると、部屋に戻って慌てて荷造りをし、午前中に出る1番便で帰って行きました。
その後、この不思議な奥さんの話で、おかみさんと盛り上がりました。

私達は夕方4時発のフェリーだったので、10時くらいに またまたマギーさんのタクシーを呼んで、古座間味ビーチへ行って来ました。
まだ朝早かったせいか、ほとんど誰も居なくて、ビーチは貸切状態でした。

またいつものテントを設置して、早速海に入る事にしました。
前日まで使っていた曇り止め液が無くなったので、ママレモンを持って来てマスクにたらしザブっと洗い装着して見ました。
目が痛いの痛くないのって、ほぼ目が開けられない状態になってしまいました。
それでも海水で目の周りを一生懸命洗って、シュノーケリングして見る事にしました。
数mくらい泳いで見たら、やっぱり目にしみて我慢ができず、一旦上がる事にしました。

私が、まず海から上がって「目が痛〜い!」と言っていると、後からうちの奥さんが「なんか刺されたみたいに痛い!」と言いながら上がって来ました。
見ると、手の甲に赤い発心ができていました。
もしかしてクラゲ?!っと思い、目が痛い私と共に売店へ行って見る事にしました。

砂浜を歩いて売店に向かう途中に、流調な日本語を話す黒人の人達が数人シュノーケルをやっていました。
私が「からくりテレビに出てた、ボビーみたいな奴だな〜!」と言うと、うちの奥さんが「昨日、無人島の周りでジェットスキーを乗り回していた、米軍の人じゃない?!」と言うので、「確かに、ボビーにしては日本語旨すぎだよね〜!完璧にしゃべってるもんなー!」とか言いながら売店に着きました。
取り敢えず、私は水道で目をしっかり洗った後に、うちの奥さんの手を売店の女性に見せて聞いて見ると「あー、ここクラゲ居ますよー!」と言う返答が返って来ました。
居るのは居るみたいなんですが、大したクラゲではない見たいで、うちの奥さんは氷で冷やしていたんですが、私もこの後ちょっと刺された時も、5分くらい放っておいたら何ともなくなる程度でした。
目もすっきりしてテントの方へ戻る時に写真のデッキ下を除くと、さっきのボビーもどきの黒人が、レンタルショップのテント内に横たわって話をしていました。
あれっ!本物のボビーでした。
多分、隣りに居たのはK1に出てた弟だと思います。
子連れで来ていて、子供と波打ち際で遊んでいました。
TVの面白トークは確実に嘘です。
めちゃくちゃ、ぺらっぺらの日本語を話していましたから!
「ムルアカがっ!」とかは言ってませんでしたので100%とは言い切れませんでしたが、98%くらいは間違いなくボビーだったと思います。
ちなみにレンタルショップのバイトの子は、サインもらってました。

その後テントに戻り、新しく買った曇り止め液を塗って、やっとシュノーケリングが再開できました。
目にしみないと最高に楽しい時間でした。

水深3mくらいの直ぐ下で、体験ダイビングもやっていました。
不思議なんですけど、最近はこの位の深さなら難無く潜れるんですが、いざダイビングだと泡を吹いてしまうんですよねー!
ダイビングは、今回、宿で会った奥さんもダメだったと言っていましたし、無人島で体験ダイビングをしていたカップルも、男性の方がリタイヤするのを見ていて、やっぱり向き不向きが有るんだな〜っと、つくづく感じました。

ちなみにこの写真は、私が2mくらい潜って水深1mくらいの所で、水面に向かってシャッターをきってみたんですけど、全く解らないかと思います。
一応、お気に入りなんですけど!

これは、ビーチの腰くらいの深さのところで撮った写真で、写真左側が波打ち際で、右側が深くなる辺りです。
すっかり写真にはまっています。
あんまり写真ばかり撮っていると、目で見た記憶が残らないんですよねー!

午後2時くらいまで泳いで、また宿に戻りました。
この日に帰るので、普通は、朝一で宿を出て、せいぜい荷物を預かってもらう程度なんですが、この宿は、おじさんとおばさんの夫婦でやっているせいか、「明日は、その部屋は予約が入ってないから、出発まで使って良いですよ!」と言う事になっていました。
かなり、ラッキー!と思いながら、しっかりと風呂にも入った後、洗濯機も使って、水着やバスタオルも洗って帰りました。
正直に言うと、前回の渡嘉敷島もそうだったんですが、民宿っぽい宿は、あまりやる気は見えないんですが、こういう融通が利くところが魅力なんですよねー!
午後3時になったので、荷物をまとめて下に降り、おばちゃんにお金を渡して、しばらく話混んでいると、「でっ、お釣りは5,000円だっけねー!」と言い出すので、「しっかりしてよー!おばちゃん!ちゃんと計算して、ピッタリ払ったんだからー!おばちゃん、損しちゃうよ!」てな具合でした。
実はその後も、またしばらく話をしていたら、「でっ、お釣りは2,000円で良かったんだっけねー!」とか、まだ言っていました。
のどか〜!

ここは座間味島のメインストリートです。
この通りの両サイドや、枝の道に宿が立ち並んでいました。
ここへ来ると多分、時間が止まっちゃうと思います。

とことこと10分くらい歩いて、港に到着しました。

フェリーは、出発の30分前から乗船できました。

さらば座間味島!
また2週間後に来るよ〜!

帰りも15分くらいで、阿嘉島に到着しました。
阿嘉島は降りる人もたくさんいるので、帰りに乗って来る人達も結構います。

阿嘉島を出航する時に、この島の名物となっている、ダイビングショップの人達による、防波堤からダイブが有ります。
この日は、女性2人と男性2人が手を振りながら大ジャンプしていました。
凄い、楽しかった思い出が、何故か行ってない、この島の人達によって残ります。

あ〜〜〜〜!
もう、ついちゃった〜!
帰りに船のデッキに上がって、空と雲を眺めていたんですが、あっと言う間でした。
↓座間味島の動画を、デジカメで2本撮って来ました。
座間味島水中動画@
座間味島水中動画A
|